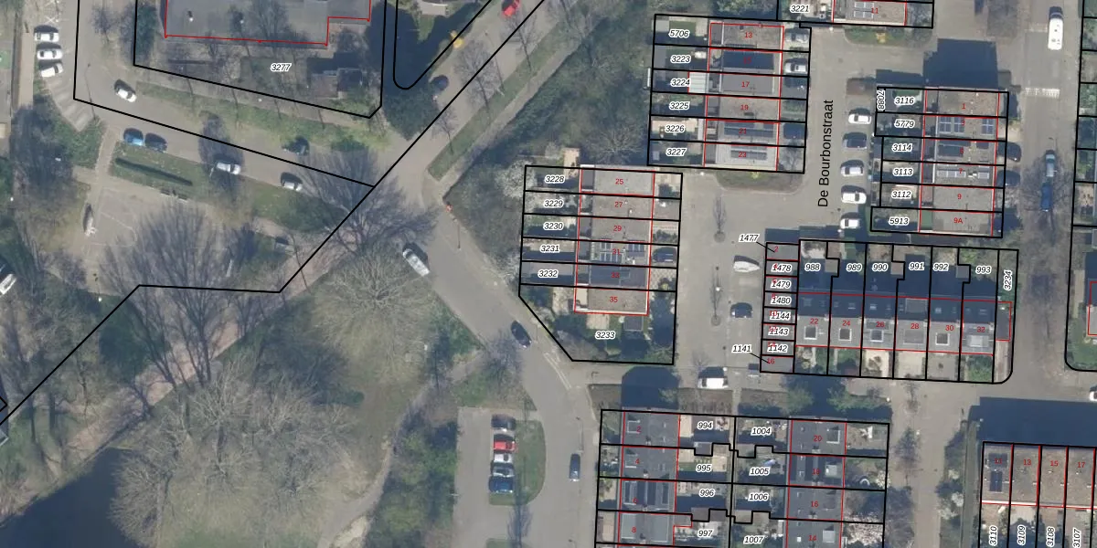
Perceel: ZTM00-E-3232
123 m2 - 66 m
Eigenaar opvragen
ZTM00-E-3232 (Zoetermeer)
- 2713 EG
lX nrKTs6u40diP8FXGeqHTLINUpgrade naar KadastraleKaart Pro
Verkoopprijs opvragen
Bekijk op Street View
Download DWG/DXF/Excel
upu4tu77QpfgUpgrade naar KadastraleKaart Pro
d oXMqYGJ RNe3WVMASp29PUpgrade naar KadastraleKaart Pro
y ZS2JN9RmyDUpgrade naar KadastraleKaart Pro
vuH LfrrPjCWmysFQasFK6Upgrade naar KadastraleKaart Pro
jhno57zBCuv6ZKDZ3 Upgrade naar KadastraleKaart Pro
uZDpA450RsgUpgrade naar KadastraleKaart Pro
s1z SlNopSTzto31m25JOUpgrade naar KadastraleKaart Pro
9zvj7QbJvo9ClDDLbC z8Upgrade naar KadastraleKaart Pro
z ivO7XYaUpgrade naar KadastraleKaart Pro
R2ENrX cU0medLwe8w8s Upgrade naar KadastraleKaart Pro
10/06/2008

Percelen
Gebruik de zoekbalk of klik op een perceel om informatie over het perceel te bekijken.