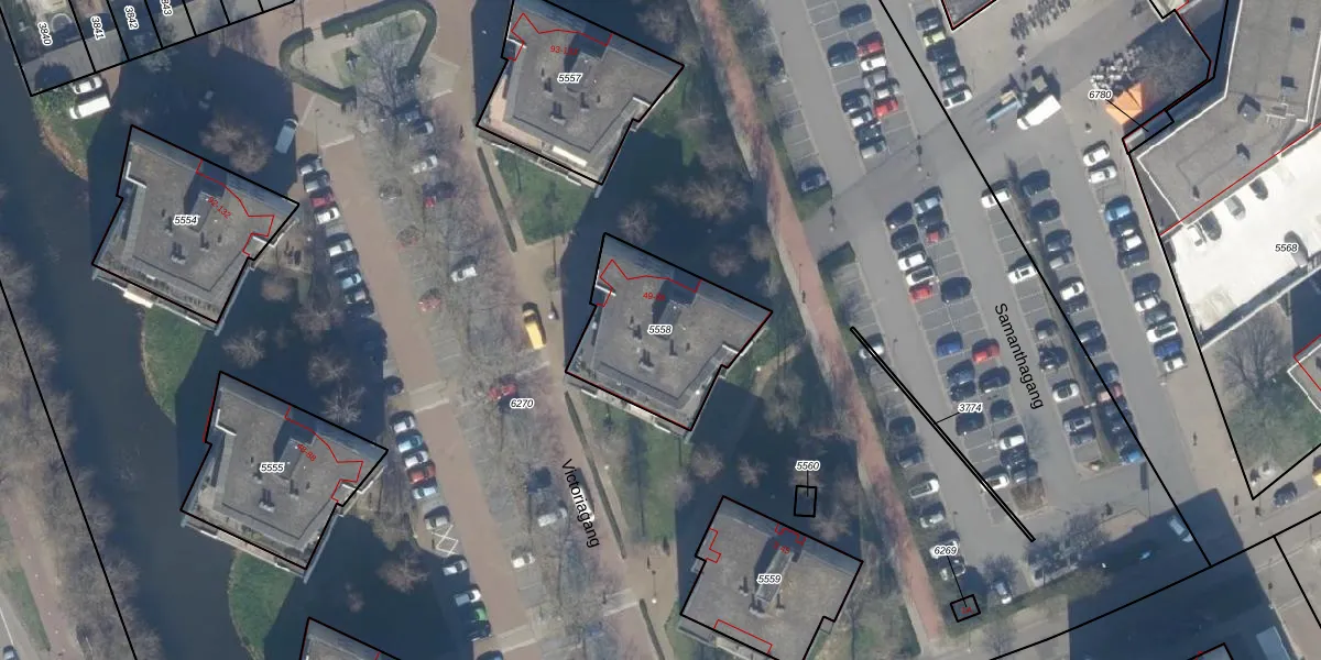
Perceel: ZTM00-E-5558
KadastraleKaart.com kan meer dan je denktOntdek meer ›
Filter op bestemming 50+ datasets Eigendomsdata in één klik Percelen CRM
501 m2 - 95 m
Eigenaar opvragen
ZTM00-E-5558 (Zoetermeer)
- 2719 CW
5lWR VqoslGQm VXkkOukYzUpgrade naar KadastraleKaart Pro
Bekijk op Street View
Download DWG/DXF/Excel
LD1ZzFieRgkqFAUpgrade naar KadastraleKaart Pro
0D8K 2twUel0bzUM7ieeveiUpgrade naar KadastraleKaart Pro
qAeq9EudtYT6ptWUpgrade naar KadastraleKaart Pro
OPWauCpQ8 7WZ8m VSKr5Upgrade naar KadastraleKaart Pro
o XCsLmQpyK5jqWRyOZAUpgrade naar KadastraleKaart Pro
Ogz 1lAYrRUpgrade naar KadastraleKaart Pro
eQNLNczrjMIcovvFBUpgrade naar KadastraleKaart Pro
P Pllmnyc6CY luFT Upgrade naar KadastraleKaart Pro
HufZLybxBmnMzMrKUpgrade naar KadastraleKaart Pro
T0DAEa0 Upgrade naar KadastraleKaart Pro
24/12/2003

Percelen
Gebruik de zoekbalk of klik op een perceel om informatie over het perceel te bekijken.