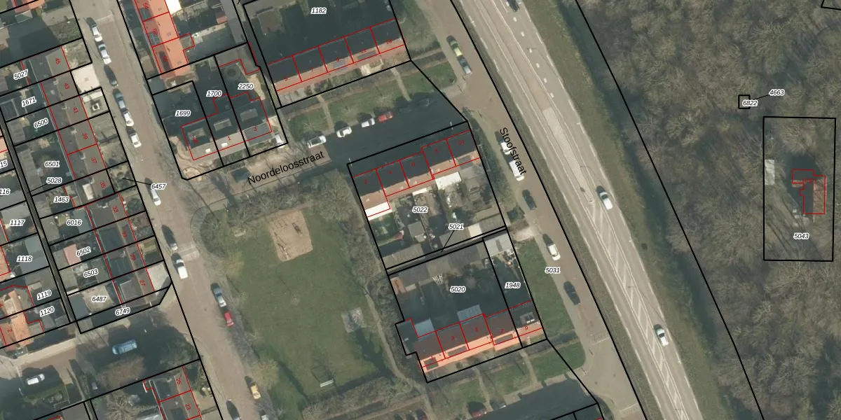
Perceel: ZVB00-L-5022
810 m2 - 114 m
Eigenaar opvragen
ZVB00-L-5022 (Zevenbergen)
- 4761 EX
5shaNpe 12RTTPgsKUpgrade naar KadastraleKaart Pro
Bekijk op Street View
Download DWG/DXF/Excel
LyZwQV0wHrGbD7Upgrade naar KadastraleKaart Pro
XYqD7kAdUpgrade naar KadastraleKaart Pro
QoHLkKQ HUpgrade naar KadastraleKaart Pro
U vYq5AdaUpgrade naar KadastraleKaart Pro
4RKg e0fUpgrade naar KadastraleKaart Pro
7e7yfnDyJ ZbeUpgrade naar KadastraleKaart Pro
RoHUL3 Qq1p1znIquNNERhUpgrade naar KadastraleKaart Pro
YJO PppzahfKjB yIKBwCUpgrade naar KadastraleKaart Pro
Gs9VAO0vUpgrade naar KadastraleKaart Pro
W pxRKcSkasw9juVUpgrade naar KadastraleKaart Pro
08/11/2010

Percelen
Gebruik de zoekbalk of klik op een perceel om informatie over het perceel te bekijken.