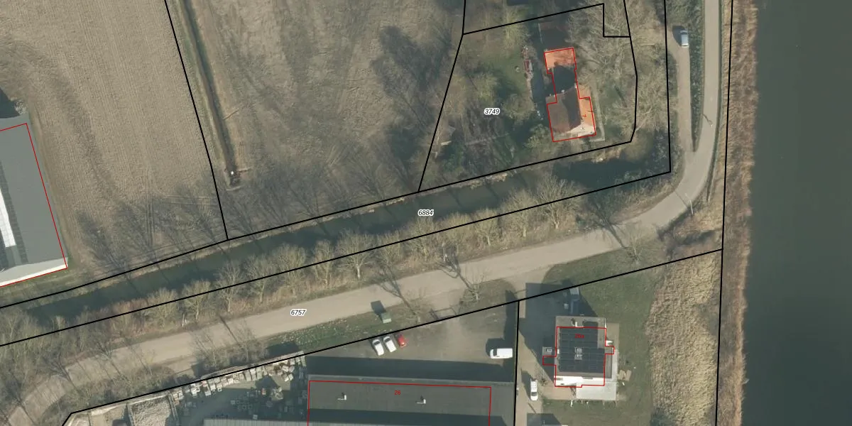
Perceel: ZVB00-L-6884
Geen adressen bij dit perceel
3.455 m2 - 781 m
Eigenaar opvragen
ZVB00-L-6884 (Zevenbergen)
- Geen postcode aanwezig
tCf2QoTLVkc GEJc mUpgrade naar KadastraleKaart Pro
Bekijk op Street View
Download DWG/DXF/Excel
OEbf38njP9Zcz1pilzj98Upgrade naar KadastraleKaart Pro
hMgrty4HU2D 5ALiXf Upgrade naar KadastraleKaart Pro
pY6duO4s3ZvcRz ZUpgrade naar KadastraleKaart Pro
96N4Gvrw 6tvozk3WSUpgrade naar KadastraleKaart Pro
q7GupjakWUpgrade naar KadastraleKaart Pro
0aATm4dgOED CgDYdUpgrade naar KadastraleKaart Pro
9l4c2KpUjpH lksjUpgrade naar KadastraleKaart Pro
QuG8JIZ1TUpgrade naar KadastraleKaart Pro
CUrIrxIs0kunW lhFUpgrade naar KadastraleKaart Pro
v Iu5 J y 6tprUpgrade naar KadastraleKaart Pro
30/08/2024

Percelen
Gebruik de zoekbalk of klik op een perceel om informatie over het perceel te bekijken.