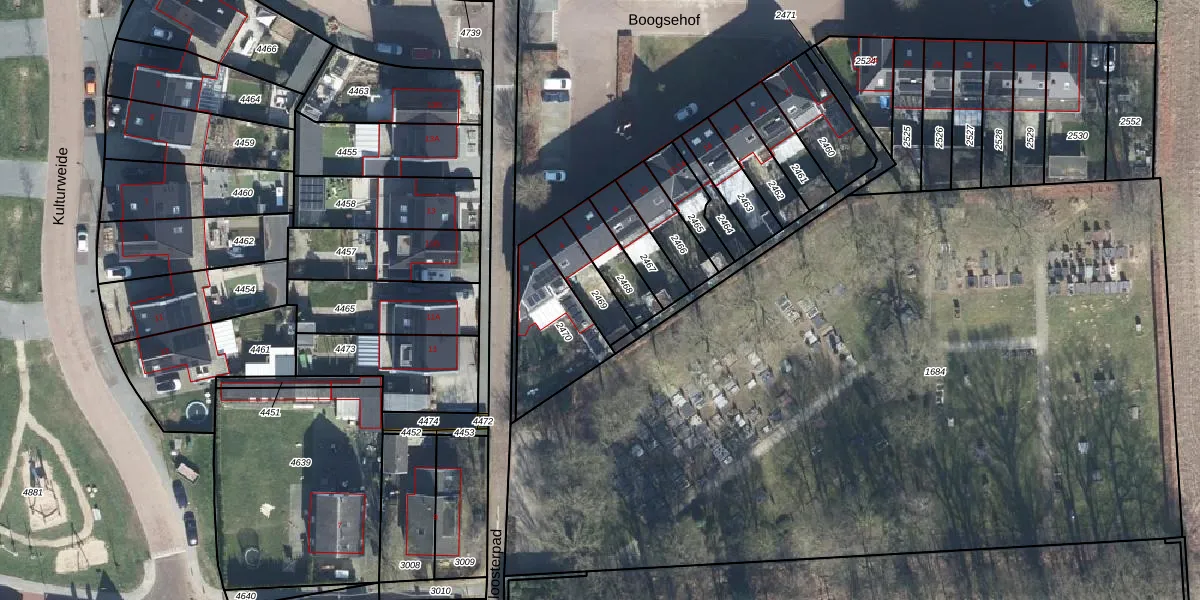
Perceel: ZVN02-D-2469
KadastraleKaart.com kan meer dan je denktOntdek meer ›
Filter op bestemming 50+ datasets Eigendomsdata in één klik Percelen CRM
121 m2 - 56 m
Eigenaar opvragen
ZVN02-D-2469 (Oud-Zevenaar)
- 6909 CZ
d ZpA 0P B7Ji9xev96MjWbPfGE6Upgrade naar KadastraleKaart Pro
Bekijk op Street View
Download DWG/DXF/Excel
VypahEjVsA8lpGh3wL2iUpgrade naar KadastraleKaart Pro
mLUktD 5ppUpgrade naar KadastraleKaart Pro
e ohSSpyhgu aWUpgrade naar KadastraleKaart Pro
AM3LNQy7WktoBc5MXMNcgjQUpgrade naar KadastraleKaart Pro
LBfpUsY4zONUpgrade naar KadastraleKaart Pro
pTgS1BYwfu9PP Upgrade naar KadastraleKaart Pro
nORC8wF0 0wFq Upgrade naar KadastraleKaart Pro
rQw n IdGznUpgrade naar KadastraleKaart Pro
nIsYxOPtsOkIy8hzKVLFmiUpgrade naar KadastraleKaart Pro
UwENjKmTaljt1IgUwUpgrade naar KadastraleKaart Pro
18/11/2010

Percelen
Gebruik de zoekbalk of klik op een perceel om informatie over het perceel te bekijken.