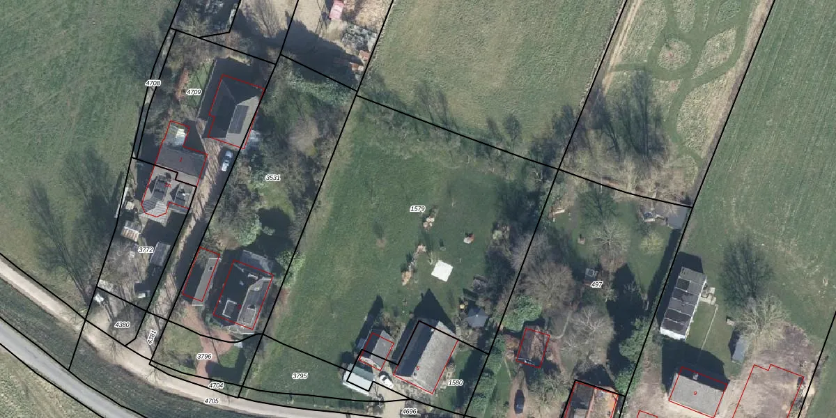
Perceel: ZVN02-F-1579
KadastraleKaart.com kan meer dan je denktOntdek meer ›
Filter op bestemming 50+ datasets Eigendomsdata in één klik Percelen CRM
Geen adressen bij dit perceel
2.788 m2 - 229 m
Eigenaar opvragen
ZVN02-F-1579 (Oud-Zevenaar)
- Geen postcode aanwezig
AvfXn Z g2U0aCJsJUpgrade naar KadastraleKaart Pro
Bekijk op Street View
Download DWG/DXF/Excel
uO S9NI6ZAhbRcUpgrade naar KadastraleKaart Pro
eEq1izA BvUpgrade naar KadastraleKaart Pro
8yQIVoQ9Upgrade naar KadastraleKaart Pro
cjhQMXWlhUpgrade naar KadastraleKaart Pro
i 2f FR0hoyt S3M7Upgrade naar KadastraleKaart Pro
59wr3zgxgwjOkCFMUpgrade naar KadastraleKaart Pro
glbRNijbBVVokRxUpgrade naar KadastraleKaart Pro
SPQNme9zOlUpgrade naar KadastraleKaart Pro
HbdImvcdfAVy F5CeKUX9vGUpgrade naar KadastraleKaart Pro
VtEofYbK QnUpgrade naar KadastraleKaart Pro
08/02/2024

Percelen
Gebruik de zoekbalk of klik op een perceel om informatie over het perceel te bekijken.