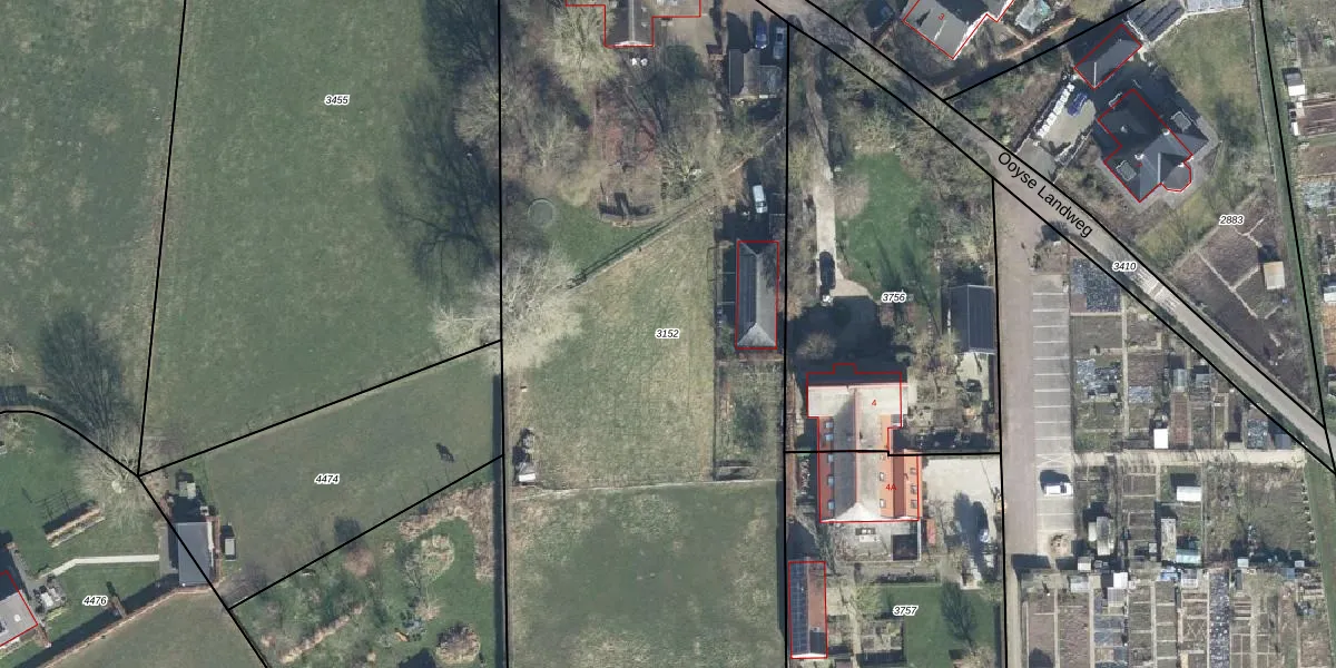
Perceel: ZVN02-F-3152
KadastraleKaart.com kan meer dan je denktOntdek meer ›
Filter op bestemming 50+ datasets Eigendomsdata in één klik Percelen CRM
4.845 m2 - 327 m
Eigenaar opvragen
ZVN02-F-3152 (Oud-Zevenaar)
- 6905 DT
TN4 DDKY6oB y1PJAxtUN14p Upgrade naar KadastraleKaart Pro
Verkoopprijs opvragen
Bekijk op Street View
Download DWG/DXF/Excel
08FG47igAa3uydTMoUpgrade naar KadastraleKaart Pro
yyNnsBveta9rkIZAXUpgrade naar KadastraleKaart Pro
QXITg4OWBaTUCFUpgrade naar KadastraleKaart Pro
tLZ9K h7mGFNUpgrade naar KadastraleKaart Pro
h dQRE j f YVUpgrade naar KadastraleKaart Pro
G VcAxBRlZPTJK RuWfRlQqUpgrade naar KadastraleKaart Pro
x 1jOVb5 rEs0Upgrade naar KadastraleKaart Pro
8iKcLbg D NCUpgrade naar KadastraleKaart Pro
qvkOA3YWQFrt1BNUpgrade naar KadastraleKaart Pro
iwLuLu2yUpgrade naar KadastraleKaart Pro
24/11/2014

Percelen
Gebruik de zoekbalk of klik op een perceel om informatie over het perceel te bekijken.