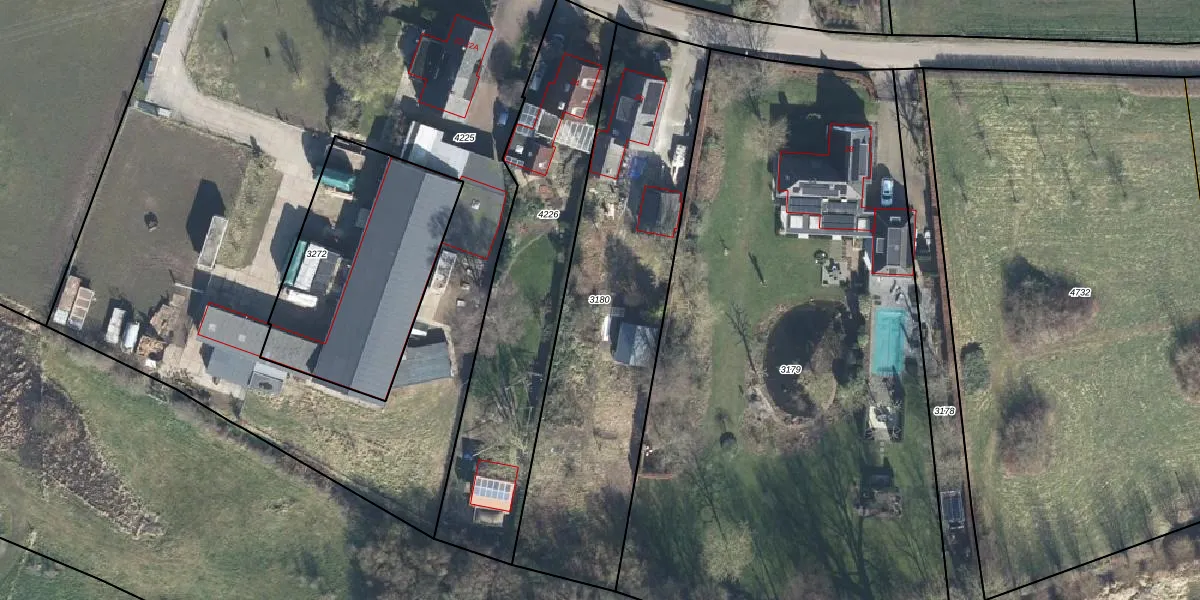
Perceel: ZVN02-F-3180
KadastraleKaart.com kan meer dan je denktOntdek meer ›
Filter op bestemming 50+ datasets Eigendomsdata in één klik Percelen CRM
1.590 m2 - 218 m
Eigenaar opvragen
ZVN02-F-3180 (Oud-Zevenaar)
- 6905 DP
kjBador aEDVqlJ dLLptMUpgrade naar KadastraleKaart Pro
Verkoopprijs opvragen
Bekijk op Street View
Download DWG/DXF/Excel
c zwcuTrWUsEUpgrade naar KadastraleKaart Pro
6CL jrL VBWVyMHzUpgrade naar KadastraleKaart Pro
2MPB7z MOjCAhIK6Upgrade naar KadastraleKaart Pro
CAliv1VRw c17N fA2bng5Upgrade naar KadastraleKaart Pro
0ZhJ0Z9 c15 wUpgrade naar KadastraleKaart Pro
6qPO Tx12ganctU nAcUpgrade naar KadastraleKaart Pro
3MVTxmhxYVeUpgrade naar KadastraleKaart Pro
Hr91HlzSSK8oSLmstsOUpgrade naar KadastraleKaart Pro
DmuslnYGCmg3IknWldXVfEGUpgrade naar KadastraleKaart Pro
WQi n1rpHFztfOvTtUpgrade naar KadastraleKaart Pro
02/06/2009

Percelen
Gebruik de zoekbalk of klik op een perceel om informatie over het perceel te bekijken.