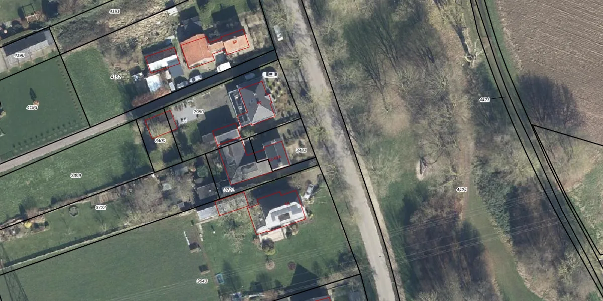
Perceel: ZVN02-F-3481
KadastraleKaart.com kan meer dan je denktOntdek meer ›
Filter op bestemming 50+ datasets Eigendomsdata in één klik Percelen CRM
235 m2 - 64 m
Eigenaar opvragen
ZVN02-F-3481 (Oud-Zevenaar)
- 6905 AN
mCS 0gxE3AMDIFZZnXssdGepkeUpgrade naar KadastraleKaart Pro
Bekijk op Street View
Download DWG/DXF/Excel
1vE5l p8 njP LB yUpgrade naar KadastraleKaart Pro
bp0My rLLcis1 J0XU YUpgrade naar KadastraleKaart Pro
HW9KEF epNWrxBeUpgrade naar KadastraleKaart Pro
o xdu9eK0GUpgrade naar KadastraleKaart Pro
rqLYTU 2Upgrade naar KadastraleKaart Pro
LBtGeY s sh0tD3LAuUpgrade naar KadastraleKaart Pro
51ha7f4a1ah I1wUpgrade naar KadastraleKaart Pro
ge 9ytZpVqs 7Upgrade naar KadastraleKaart Pro
P16 1TWNmcdm PQ7U2WzpUpgrade naar KadastraleKaart Pro
tAZQao cxP399R5bOs8K6Upgrade naar KadastraleKaart Pro
16/10/2001

Percelen
Gebruik de zoekbalk of klik op een perceel om informatie over het perceel te bekijken.