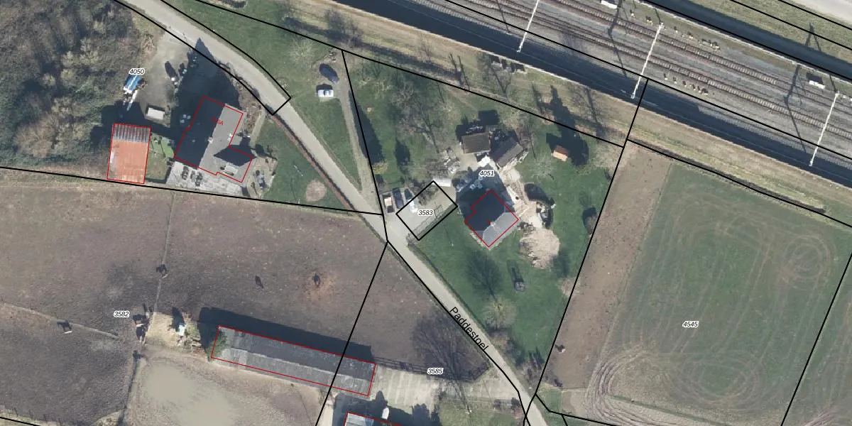
Perceel: ZVN02-F-3583
KadastraleKaart.com kan meer dan je denktOntdek meer ›
Filter op bestemming 50+ datasets Eigendomsdata in één klik Percelen CRM
Geen adressen bij dit perceel
115 m2 - 40 m
Eigenaar opvragen
ZVN02-F-3583 (Oud-Zevenaar)
- Geen postcode aanwezig
IiT5NM7RB f dtneatUpgrade naar KadastraleKaart Pro
Bekijk op Street View
Download DWG/DXF/Excel
Yx87Q8hWdUpgrade naar KadastraleKaart Pro
oPGGVDYiZ9RduUpgrade naar KadastraleKaart Pro
C z2BhfoowaVUpgrade naar KadastraleKaart Pro
K84GdT JwvpUpgrade naar KadastraleKaart Pro
iPpOtkEQYF AOn5Upgrade naar KadastraleKaart Pro
6QG7E mNfo mQwGAWStlR8gUpgrade naar KadastraleKaart Pro
Bp5ynJ4QeslLZqUpgrade naar KadastraleKaart Pro
MaKQAg8niKUpgrade naar KadastraleKaart Pro
zs2vgj6bbUpgrade naar KadastraleKaart Pro
BYIBe TZxjmq3zOxyQ3ptqbUpgrade naar KadastraleKaart Pro
19/03/2007

Percelen
Gebruik de zoekbalk of klik op een perceel om informatie over het perceel te bekijken.