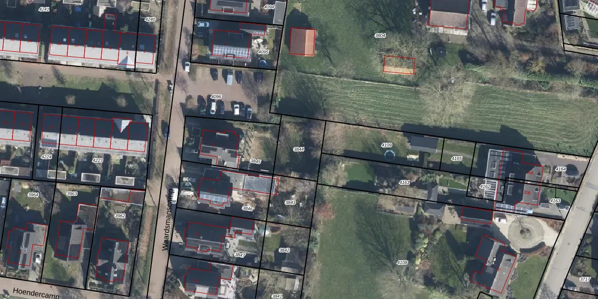
Perceel: ZVN02-F-3844
KadastraleKaart.com kan meer dan je denktOntdek meer ›
Filter op bestemming 50+ datasets Eigendomsdata in één klik Percelen CRM
Geen adressen bij dit perceel
306 m2 - 71 m
Eigenaar opvragen
ZVN02-F-3844 (Oud-Zevenaar)
- Geen postcode aanwezig
Eq4UNPK4sDMhYXN32Upgrade naar KadastraleKaart Pro
Bekijk op Street View
Download DWG/DXF/Excel
Z7vZUVN7R0T5ld6HsoCL28NUpgrade naar KadastraleKaart Pro
S5AvaXMUfYUpgrade naar KadastraleKaart Pro
j 7QBA7pUpgrade naar KadastraleKaart Pro
W2OiTk MTuUpgrade naar KadastraleKaart Pro
LzpnFKrf2rid1PR Upgrade naar KadastraleKaart Pro
vfDeMNdI9EkkUpgrade naar KadastraleKaart Pro
0 kFaP8ajU TV0yIUpgrade naar KadastraleKaart Pro
GurG1t5rqczIUpgrade naar KadastraleKaart Pro
kNO6ZdhU4z4 4UxaOhUpgrade naar KadastraleKaart Pro
J1OxvmIqcdWIVByNc Upgrade naar KadastraleKaart Pro
03/12/2007

Percelen
Gebruik de zoekbalk of klik op een perceel om informatie over het perceel te bekijken.