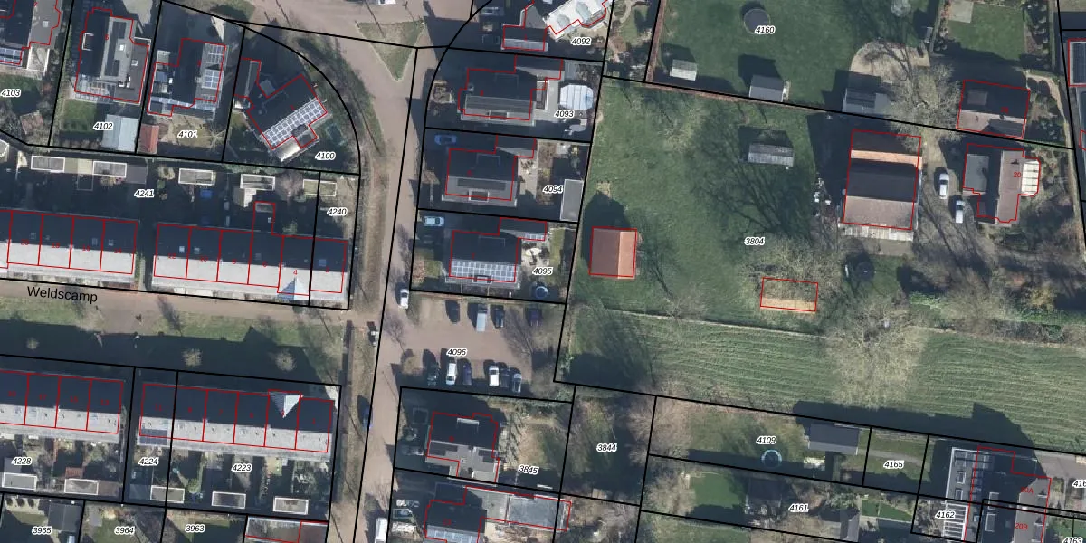
Perceel: ZVN02-F-4095
KadastraleKaart.com kan meer dan je denktOntdek meer ›
Filter op bestemming 50+ datasets Eigendomsdata in één klik Percelen CRM
440 m2 - 89 m
Eigenaar opvragen
ZVN02-F-4095 (Oud-Zevenaar)
- 6905 CZ
CzA5183NHaKSXO vSgPrCx3vMe7jUpgrade naar KadastraleKaart Pro
Bekijk op Street View
Download DWG/DXF/Excel
5DAmHbPIMw Upgrade naar KadastraleKaart Pro
J4fTQOrAnUpgrade naar KadastraleKaart Pro
sXHQEJZGJUpgrade naar KadastraleKaart Pro
bmHfLK9fOKoh8DZUpgrade naar KadastraleKaart Pro
O7 Q5VxFkpCE wvd5mMr9ZUpgrade naar KadastraleKaart Pro
cYaHlw8 hX Upgrade naar KadastraleKaart Pro
SlrD9esPE2v V0EttoRoXUpgrade naar KadastraleKaart Pro
fy8hcJG6bGBRUpgrade naar KadastraleKaart Pro
FdoRGO GRy7EHGHk Upgrade naar KadastraleKaart Pro
NmefAOcxCz4h RgJUpgrade naar KadastraleKaart Pro
03/12/2007

Percelen
Gebruik de zoekbalk of klik op een perceel om informatie over het perceel te bekijken.