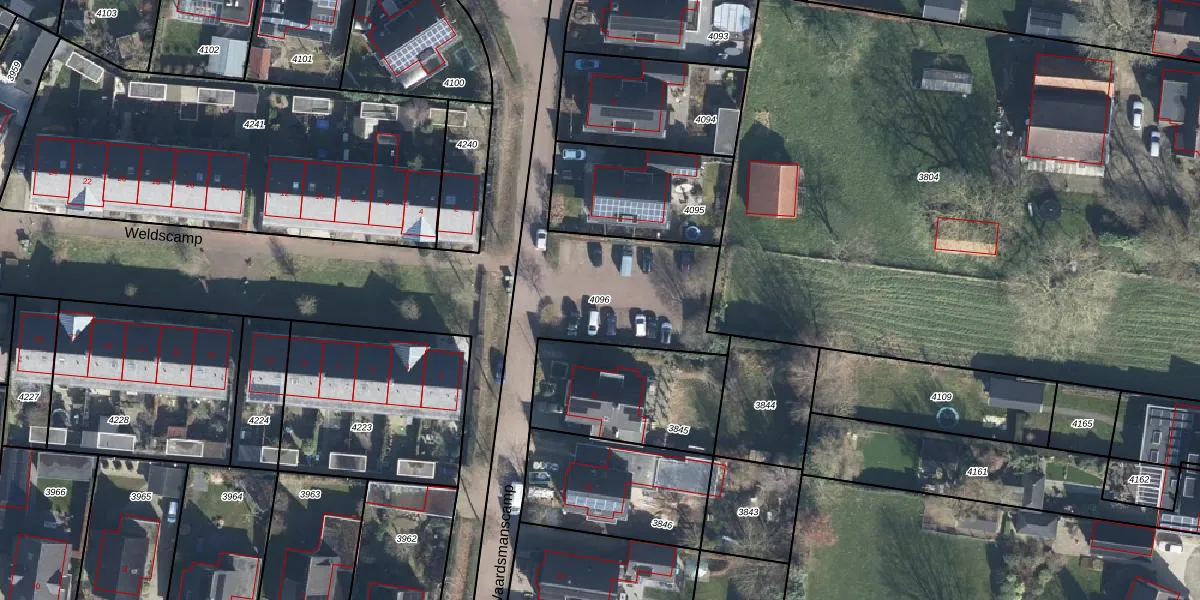
Perceel: ZVN02-F-4096
KadastraleKaart.com kan meer dan je denktOntdek meer ›
Filter op bestemming 50+ datasets Eigendomsdata in één klik Percelen CRM
Geen adressen bij dit perceel
3.384 m2 - 597 m
Eigenaar opvragen
ZVN02-F-4096 (Oud-Zevenaar)
- Geen postcode aanwezig
ZckUZk9cXszN8VIN0Fb8PPYU0Upgrade naar KadastraleKaart Pro
Bekijk op Street View
Download DWG/DXF/Excel
mXB3 mLx Upgrade naar KadastraleKaart Pro
3HW6 HVlUpgrade naar KadastraleKaart Pro
W3v31QQmxPNftGUpgrade naar KadastraleKaart Pro
5Wt6qcuMUpgrade naar KadastraleKaart Pro
H7JH C o4eznBWonpZwKBdUpgrade naar KadastraleKaart Pro
SLlKbE6DOEIE1JbKURzagUpgrade naar KadastraleKaart Pro
ANr8 E2uNlPjpensgNLnjRpUpgrade naar KadastraleKaart Pro
DV5 iTAPJDrHV n0dsh hGUpgrade naar KadastraleKaart Pro
Xg bvFIRUpgrade naar KadastraleKaart Pro
gTFdNMicQov2kUpgrade naar KadastraleKaart Pro
10/11/2023

Percelen
Gebruik de zoekbalk of klik op een perceel om informatie over het perceel te bekijken.