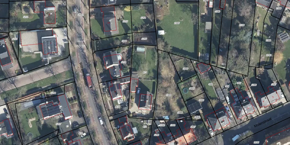
Perceel: ZVN02-L-873
KadastraleKaart.com kan meer dan je denktOntdek meer ›
Filter op bestemming 50+ datasets Eigendomsdata in één klik Percelen CRM
960 m2 - 164 m
Eigenaar opvragen
ZVN02-L-873 (Oud-Zevenaar)
- 6901 DB
Sim N7S onc8 WZ5dayUpgrade naar KadastraleKaart Pro
Bekijk op Street View
Download DWG/DXF/Excel
1rA3PQ Wt kVrBex sgu2Upgrade naar KadastraleKaart Pro
b0gA WJ Upgrade naar KadastraleKaart Pro
gVh d21e wUpgrade naar KadastraleKaart Pro
mfKr2pvUn8qjpsOPVazJi Upgrade naar KadastraleKaart Pro
AUZIoFUer1JtAXkUpgrade naar KadastraleKaart Pro
gCxsKISOAJUpgrade naar KadastraleKaart Pro
ejrOxzx4hKaF C5z6Upgrade naar KadastraleKaart Pro
MEA 9zUADhz7zVx4nXUpgrade naar KadastraleKaart Pro
CtMSbfAtGq6sils1RjYoA Upgrade naar KadastraleKaart Pro
Wpr enlZMs5QmcyM7Ja8Upgrade naar KadastraleKaart Pro
21/12/2010

Percelen
Gebruik de zoekbalk of klik op een perceel om informatie over het perceel te bekijken.