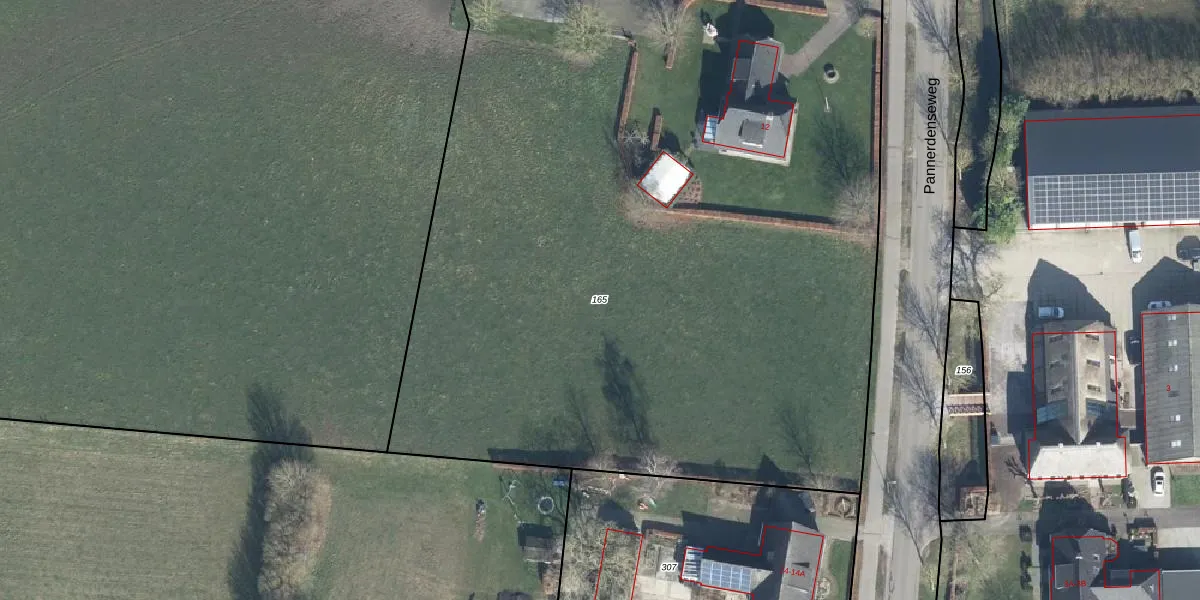
Perceel: ZVN02-N-165
KadastraleKaart.com kan meer dan je denktOntdek meer ›
Filter op bestemming 50+ datasets Eigendomsdata in één klik Percelen CRM
8.830 m2 - 393 m
Eigenaar opvragen
ZVN02-N-165 (Oud-Zevenaar)
- 6905 SE
69nzpWR nvjF t3gtDLO8ZBtT4TR0i8Upgrade naar KadastraleKaart Pro
Bekijk op Street View
Download DWG/DXF/Excel
Y1tlJa1j OUpgrade naar KadastraleKaart Pro
7 X qqc2UbIsDor57rlbPnUpgrade naar KadastraleKaart Pro
DdPG8LhoefQLTJYheDaBUpgrade naar KadastraleKaart Pro
XZbcJPdj0RGbDUpgrade naar KadastraleKaart Pro
ftfnyz9lZdkdZ1F i 8V8Upgrade naar KadastraleKaart Pro
EUaxL4YH2UO44C3X XiUpgrade naar KadastraleKaart Pro
mhg4svDjJLB7M Upgrade naar KadastraleKaart Pro
BSBb8thbP JUpgrade naar KadastraleKaart Pro
79zcrsJ 6Xb 3K4tr5aUpgrade naar KadastraleKaart Pro
ONXz9H nNUpgrade naar KadastraleKaart Pro
26/05/2020

Percelen
Gebruik de zoekbalk of klik op een perceel om informatie over het perceel te bekijken.