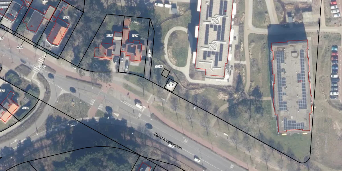
Perceel: ZVT00-B-11193
KadastraleKaart.com kan meer dan je denktOntdek meer ›
Filter op bestemming 50+ datasets Eigendomsdata in één klik Percelen CRM
Geen adressen bij dit perceel
35 m2 - 24 m
Eigenaar opvragen
ZVT00-B-11193 (Zandvoort)
- Geen postcode aanwezig
KfblnVFg9SZrSkB7ln P44itUpgrade naar KadastraleKaart Pro
Bekijk op Street View
Download DWG/DXF/Excel
Mp ORYB3sUpgrade naar KadastraleKaart Pro
QNFJlplxawbFWb Kv WtPFIUpgrade naar KadastraleKaart Pro
u7d6BY x0ewKzZ Upgrade naar KadastraleKaart Pro
MsJoyINRo6 x FKlQf0Upgrade naar KadastraleKaart Pro
QEE SUdOpKbSAW rsxXUpgrade naar KadastraleKaart Pro
mPPQpgw ZXqp1y5BC0vUpgrade naar KadastraleKaart Pro
iApEra pJfZuF6B0oUpgrade naar KadastraleKaart Pro
tGfbZaculoSIUpgrade naar KadastraleKaart Pro
ftaIpIApT2gL6GEzJvVUpgrade naar KadastraleKaart Pro
xY gsRhtgndLv Upgrade naar KadastraleKaart Pro
27/02/2024

Percelen
Gebruik de zoekbalk of klik op een perceel om informatie over het perceel te bekijken.