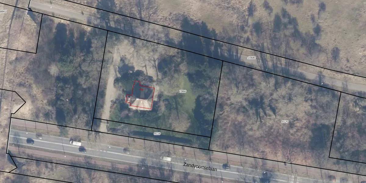
Perceel: ZVT00-B-7866
KadastraleKaart.com kan meer dan je denktOntdek meer ›
Filter op bestemming 50+ datasets Eigendomsdata in één klik Percelen CRM
2.978 m2 - 221 m
Eigenaar opvragen
ZVT00-B-7866 (Zandvoort)
- 2116 EK
eaj3vEkZg12cSz8 TUpgrade naar KadastraleKaart Pro
Verkoopprijs opvragen
Bekijk op Street View
Download DWG/DXF/Excel
F aGJY Y YUpgrade naar KadastraleKaart Pro
b b4nu7OZUpgrade naar KadastraleKaart Pro
z rigc OBtaoiUpgrade naar KadastraleKaart Pro
2YQDjZWQy8le0FsSAY87BUpgrade naar KadastraleKaart Pro
0EtP 5QQk o3Upgrade naar KadastraleKaart Pro
zNzW6zIJ9CYKCDu3 hUpgrade naar KadastraleKaart Pro
AuVIo8sQZkKS4p1Upgrade naar KadastraleKaart Pro
e0ymW2kHRLukfhTcUpgrade naar KadastraleKaart Pro
ruOzS QL6E5PDKUpgrade naar KadastraleKaart Pro
1be6ZatzI XWS TUpgrade naar KadastraleKaart Pro
02/04/1999

Percelen
Gebruik de zoekbalk of klik op een perceel om informatie over het perceel te bekijken.