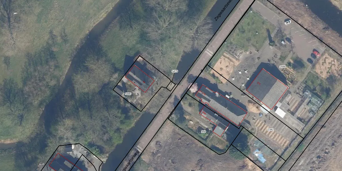
Perceel: ZWD01-B-5479
Geen adressen bij dit perceel
15 m2 - 16 m
Eigenaar opvragen
ZWD01-B-5479 (Zegwaard)
- Geen postcode aanwezig
mKPquMYw9ljxZr14AzIG0j5WUpgrade naar KadastraleKaart Pro
Bekijk op Street View
Download DWG/DXF/Excel
TDgzS kNCEF8mIzcIh4EcJwUpgrade naar KadastraleKaart Pro
ST sFc DqEUcaOypH9n6dUpgrade naar KadastraleKaart Pro
VAWQc0TmUpgrade naar KadastraleKaart Pro
1twyCNVrwhs NJXZ irEsjUpgrade naar KadastraleKaart Pro
phF auhS Re4OHzaNZd 63Upgrade naar KadastraleKaart Pro
Q 3VW V5AUpgrade naar KadastraleKaart Pro
QVjY2MO5 RQODkSys4bUpgrade naar KadastraleKaart Pro
U8VpZ dEmVMam5FaUJEtDpUpgrade naar KadastraleKaart Pro
fRfsZELQwx uoHCeUpgrade naar KadastraleKaart Pro
ML R7IaxVoHvgoTGUpgrade naar KadastraleKaart Pro
13/10/2003

Percelen
Gebruik de zoekbalk of klik op een perceel om informatie over het perceel te bekijken.