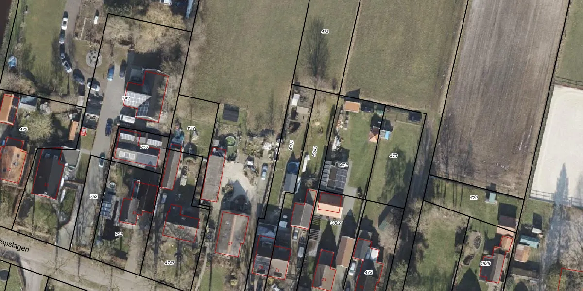
Perceel: ZWD02-E-5042
KadastraleKaart.com kan meer dan je denktOntdek meer ›
Filter op bestemming 50+ datasets Eigendomsdata in één klik Percelen CRM
536 m2 - 180 m
Eigenaar opvragen
ZWD02-E-5042 (Zuidwolde)
- 7705 PB
2jSsbd xz77dkvdl29IBm0PUpgrade naar KadastraleKaart Pro
Verkoopprijs opvragen
Bekijk op Street View
Download DWG/DXF/Excel
smTYSbQ8gYzUpgrade naar KadastraleKaart Pro
GFS D vlHyOpB XSMUpgrade naar KadastraleKaart Pro
aLMNvCqvaBeR5o4pyYqVfiUpgrade naar KadastraleKaart Pro
1d1t 8Xx QhF GUpgrade naar KadastraleKaart Pro
I8Lewrg Z HU50 OAKyUpgrade naar KadastraleKaart Pro
x 4JWefk XFbvp6yQ5lUpgrade naar KadastraleKaart Pro
34m39XrKvxuUpgrade naar KadastraleKaart Pro
Nivo dfKJTUpgrade naar KadastraleKaart Pro
8xAeprScgx0 iSy Yurh4Upgrade naar KadastraleKaart Pro
vKy8w8NTsfCTTHC cqUpgrade naar KadastraleKaart Pro
21/11/2013

Percelen
Gebruik de zoekbalk of klik op een perceel om informatie over het perceel te bekijken.