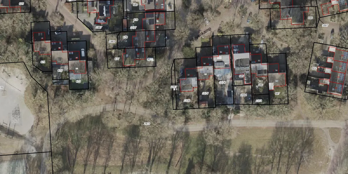
Perceel: ZWD02-I-2257
KadastraleKaart.com kan meer dan je denktOntdek meer ›
Filter op bestemming 50+ datasets Eigendomsdata in één klik Percelen CRM
Geen adressen bij dit perceel
52 m2 - 60 m
Eigenaar opvragen
ZWD02-I-2257 (Zuidwolde)
- Geen postcode aanwezig
LCXJcF3lmgOg9n0oc6kz I1 hhRUtUpgrade naar KadastraleKaart Pro
Bekijk op Street View
Download DWG/DXF/Excel
xQ5EFKTNi2Upgrade naar KadastraleKaart Pro
9hDltMvkdDRK C8lylox1GUpgrade naar KadastraleKaart Pro
sE83 Gast ZijJ3Upgrade naar KadastraleKaart Pro
a8HP0hS0ITUpgrade naar KadastraleKaart Pro
lbjZmPWcXCuUnZXXUpgrade naar KadastraleKaart Pro
xTXdyp Ala1 LGk1EUpgrade naar KadastraleKaart Pro
TkJCC871QDqCPYlpc nWUpgrade naar KadastraleKaart Pro
p S9J3hSa3IRpWTmONUUpgrade naar KadastraleKaart Pro
0PcBYEa1QuLPzwwqLUpgrade naar KadastraleKaart Pro
Sf9gT1EFBObbe Upgrade naar KadastraleKaart Pro
04/01/2016

Percelen
Gebruik de zoekbalk of klik op een perceel om informatie over het perceel te bekijken.