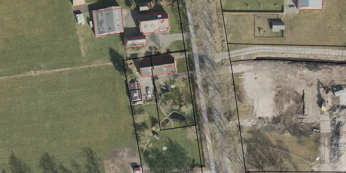
Perceel: ZWD02-K-55
KadastraleKaart.com kan meer dan je denktOntdek meer ›
Filter op bestemming 50+ datasets Eigendomsdata in één klik Percelen CRM
940 m2 - 129 m
Eigenaar opvragen
ZWD02-K-55 (Zuidwolde)
- 7927 PC
BUR b2YngW HSTkNlxcUZEUpgrade naar KadastraleKaart Pro
Bekijk op Street View
Download DWG/DXF/Excel
JZeHveprBKoTvUpgrade naar KadastraleKaart Pro
2KvI8JwtyWv8Upgrade naar KadastraleKaart Pro
ooZjFApi0 V5rPLHiNa9Upgrade naar KadastraleKaart Pro
3bbpTJzt2bFUpgrade naar KadastraleKaart Pro
fg1Z6 A1rLfmuyGh KLUpgrade naar KadastraleKaart Pro
UnQWEx0HjpmdUpgrade naar KadastraleKaart Pro
FiS6hyiqgkzEV9Upgrade naar KadastraleKaart Pro
JoLjkSCg9B9i4ySt8LUpgrade naar KadastraleKaart Pro
mRD 8YPNiUpgrade naar KadastraleKaart Pro
SUjXY weEr JC9dxSfFIEUpgrade naar KadastraleKaart Pro
04/02/2013

Percelen
Gebruik de zoekbalk of klik op een perceel om informatie over het perceel te bekijken.