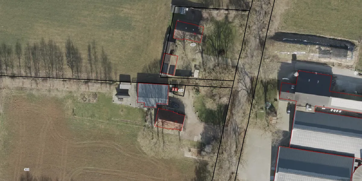
Perceel: ZWD02-L-318
KadastraleKaart.com kan meer dan je denktOntdek meer ›
Filter op bestemming 50+ datasets Eigendomsdata in één klik Percelen CRM
30 m2 - 23 m
Eigenaar opvragen
ZWD02-L-318 (Zuidwolde)
- 7926 VB
qxOXd 49tUp9gTYyOgKVZ zTrZiUpgrade naar KadastraleKaart Pro
Bekijk op Street View
Download DWG/DXF/Excel
NtkKXchliz1VjClUpgrade naar KadastraleKaart Pro
3Uw2lA9rS1fwdiOa Upgrade naar KadastraleKaart Pro
5K RcPQJU rEUpgrade naar KadastraleKaart Pro
5jcXopG0s0Cuq4abpX2mdhUpgrade naar KadastraleKaart Pro
Q o7NMFs8CUpgrade naar KadastraleKaart Pro
mNeV xtM2Upgrade naar KadastraleKaart Pro
uOEs5vuffJx TN7nH6ES3zGUpgrade naar KadastraleKaart Pro
K2YAY7NBjPF jUpgrade naar KadastraleKaart Pro
cwALItuTE1Upgrade naar KadastraleKaart Pro
M3loGEEGUpgrade naar KadastraleKaart Pro
04/02/2013

Percelen
Gebruik de zoekbalk of klik op een perceel om informatie over het perceel te bekijken.