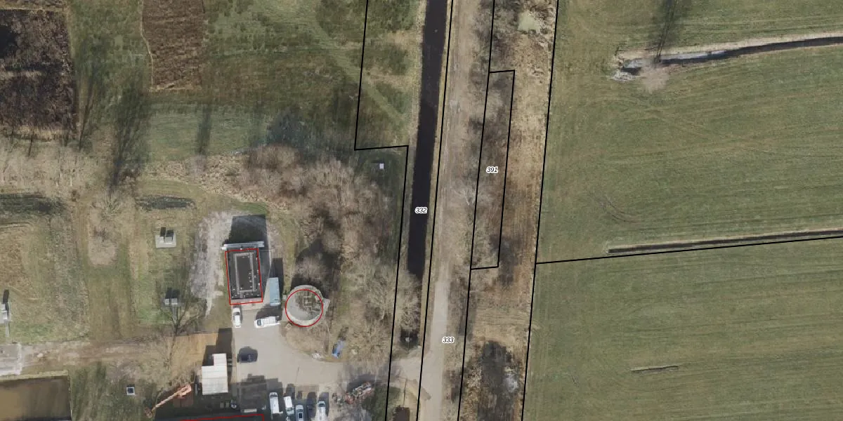
Perceel: ZWD02-L-332
KadastraleKaart.com kan meer dan je denktOntdek meer ›
Filter op bestemming 50+ datasets Eigendomsdata in één klik Percelen CRM
Geen adressen bij dit perceel
6.335 m2 - 821 m
Eigenaar opvragen
ZWD02-L-332 (Zuidwolde)
- Geen postcode aanwezig
xBvOEYQQTX 17vNfzn8 uatMf JUpgrade naar KadastraleKaart Pro
Bekijk op Street View
Download DWG/DXF/Excel
bOlncvxuIAl8yFdBO5vBEnUpgrade naar KadastraleKaart Pro
MLoCFRUKPUpgrade naar KadastraleKaart Pro
Q8a8t6n6uGt04MlYNWxaUpgrade naar KadastraleKaart Pro
LPHY1 lWQlmUpgrade naar KadastraleKaart Pro
FEvg n VuQCcUpgrade naar KadastraleKaart Pro
X yxDEgQ5wFWns2Upgrade naar KadastraleKaart Pro
dV enLTsUpgrade naar KadastraleKaart Pro
JzInMuoHUpgrade naar KadastraleKaart Pro
pylxF0c t5ktB3Upgrade naar KadastraleKaart Pro
jjYsDqH7QuvTrOg b8nwuiUpgrade naar KadastraleKaart Pro
02/05/2013

Percelen
Gebruik de zoekbalk of klik op een perceel om informatie over het perceel te bekijken.