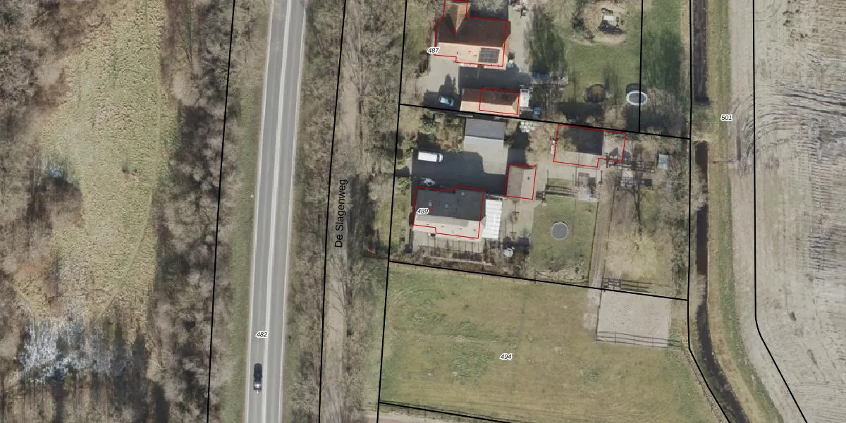
Perceel: ZWD02-L-489
KadastraleKaart.com kan meer dan je denktOntdek meer ›
Filter op bestemming 50+ datasets Eigendomsdata in één klik Percelen CRM
2.645 m2 - 216 m
Eigenaar opvragen
ZWD02-L-489 (Zuidwolde)
- 7921 TH
FAj fdwj AF9QSzehF2gsFC38oG25Upgrade naar KadastraleKaart Pro
Verkoopprijs opvragen
Bekijk op Street View
Download DWG/DXF/Excel
ZGGOKMpWSF Upgrade naar KadastraleKaart Pro
xIt2ZT0BQ1vr6E3sUpgrade naar KadastraleKaart Pro
2W1uf6U5rVz0QKr5aqNUpgrade naar KadastraleKaart Pro
lsGDby DjKrLhUJnqPWP ROUpgrade naar KadastraleKaart Pro
al re SWsG7LUpgrade naar KadastraleKaart Pro
KZ3 wp5T2ZmdwyGdKcY1VHUpgrade naar KadastraleKaart Pro
IlCYXh E5c4llbEweyS0FUpgrade naar KadastraleKaart Pro
zpyepYZlxyABKxwZUd38UUpgrade naar KadastraleKaart Pro
V Xljg5DUpgrade naar KadastraleKaart Pro
P7j6R Mdxqn9UhKYtNUpgrade naar KadastraleKaart Pro
04/02/2013

Percelen
Gebruik de zoekbalk of klik op een perceel om informatie over het perceel te bekijken.