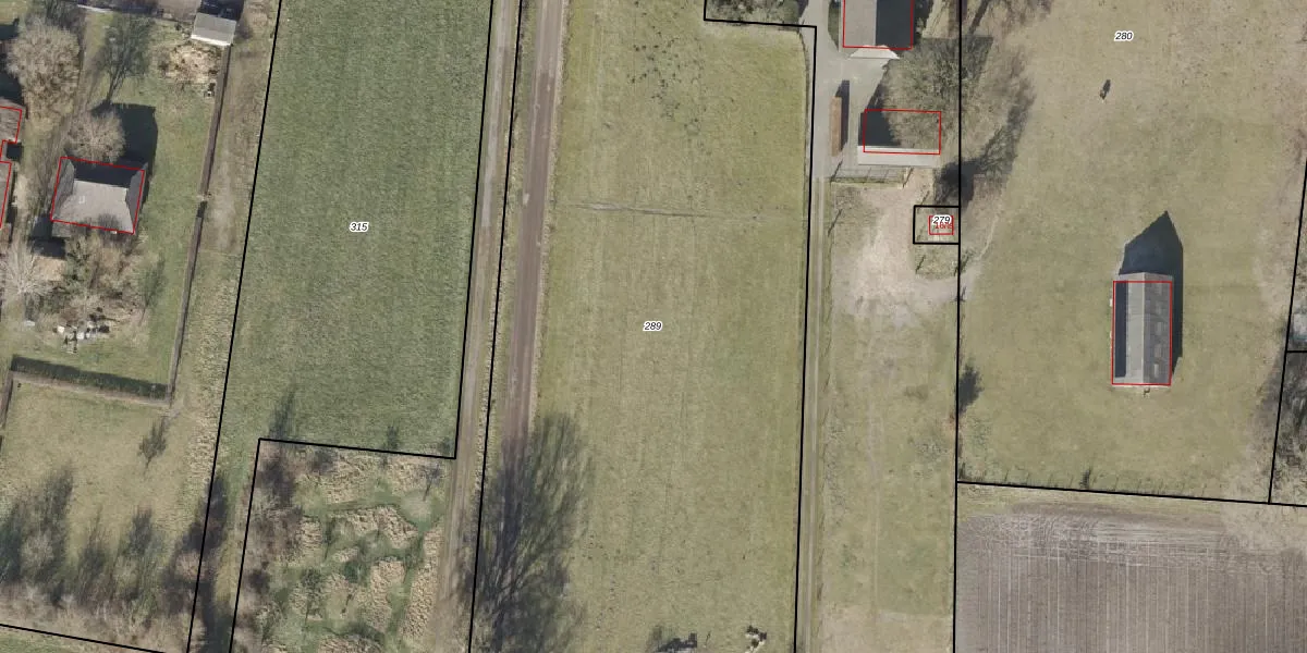
Perceel: ZWD02-O-289
KadastraleKaart.com kan meer dan je denktOntdek meer ›
Filter op bestemming 50+ datasets Eigendomsdata in één klik Percelen CRM
Geen adressen bij dit perceel
6.865 m2 - 441 m
Eigenaar opvragen
ZWD02-O-289 (Zuidwolde)
- Geen postcode aanwezig
29liiNuE5kcsz Cdymd b2BQ Upgrade naar KadastraleKaart Pro
Bekijk op Street View
Download DWG/DXF/Excel
C 3I9zQJc1OS08Bs1w5AUpgrade naar KadastraleKaart Pro
r3KrRyfZOqTOxvzHifUpgrade naar KadastraleKaart Pro
lZcR VHe j6Upgrade naar KadastraleKaart Pro
vCnBz8MFLsv1xbnJGUpgrade naar KadastraleKaart Pro
ocdc5E mLeHakQ o WUpgrade naar KadastraleKaart Pro
5e7UHN2NUpgrade naar KadastraleKaart Pro
MpXB8PgUpgrade naar KadastraleKaart Pro
4XtW1UgFKtvipKt9Agul YUpgrade naar KadastraleKaart Pro
t C fVRje IUpgrade naar KadastraleKaart Pro
UOdkL aU2H1WYDUpgrade naar KadastraleKaart Pro
27/11/2013

Percelen
Gebruik de zoekbalk of klik op een perceel om informatie over het perceel te bekijken.