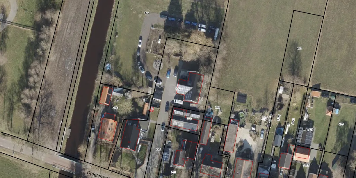
Perceel: ZWD02-O-749
1.824 m2 - 249 m
Eigenaar opvragen
ZWD02-O-749 (Zuidwolde)
- 7705 PB
BXsMMv w3JXnjdQgx4Upgrade naar KadastraleKaart Pro
Verkoopprijs opvragen
Bekijk op Street View
Download DWG/DXF/Excel
Ro9E01 D pSrYUpgrade naar KadastraleKaart Pro
sfG8qsx0rvPmJIXwnhUpgrade naar KadastraleKaart Pro
EI8KZWdi ub1Upgrade naar KadastraleKaart Pro
aHwZub NKexq4a SJD5Upgrade naar KadastraleKaart Pro
j5gz2MyVSd7ZeYSwyrfIUpgrade naar KadastraleKaart Pro
4K8bB2nxn7dL7x9Upgrade naar KadastraleKaart Pro
rd6vpPOYUpgrade naar KadastraleKaart Pro
8NAwFdv0yeVGRq sTUpgrade naar KadastraleKaart Pro
ZkuFRVV5Upgrade naar KadastraleKaart Pro
Pj6q533dgJ0 Upgrade naar KadastraleKaart Pro
01/07/2024

Percelen
Gebruik de zoekbalk of klik op een perceel om informatie over het perceel te bekijken.