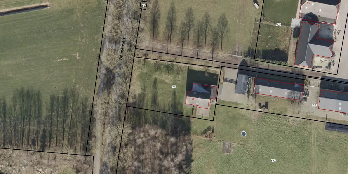
Perceel: ZWD02-O-75
KadastraleKaart.com kan meer dan je denktOntdek meer ›
Filter op bestemming 50+ datasets Eigendomsdata in één klik Percelen CRM
1.580 m2 - 160 m
Eigenaar opvragen
ZWD02-O-75 (Zuidwolde)
- 7921 TB
eZ6J9phj DDaMVh TT7Upgrade naar KadastraleKaart Pro
Bekijk op Street View
Download DWG/DXF/Excel
1a4 tSmIhCdCj LLJ5oUpgrade naar KadastraleKaart Pro
LT42q0MZDUpgrade naar KadastraleKaart Pro
k sZ3 LYliB VhkIW6Ya7xUpgrade naar KadastraleKaart Pro
t1eFHQQbzoaPOvmxCUqEM9Upgrade naar KadastraleKaart Pro
rZxpBLvPNZRILJ8kCUpgrade naar KadastraleKaart Pro
1Ux6oiLJ KsloF990OSz Upgrade naar KadastraleKaart Pro
whNqlCSd4yZ9NUpgrade naar KadastraleKaart Pro
7Avvnr4LoATl6tj Upgrade naar KadastraleKaart Pro
GFuG13MJg Upgrade naar KadastraleKaart Pro
1a7 x5pDzUpgrade naar KadastraleKaart Pro
19/06/2015

Percelen
Gebruik de zoekbalk of klik op een perceel om informatie over het perceel te bekijken.