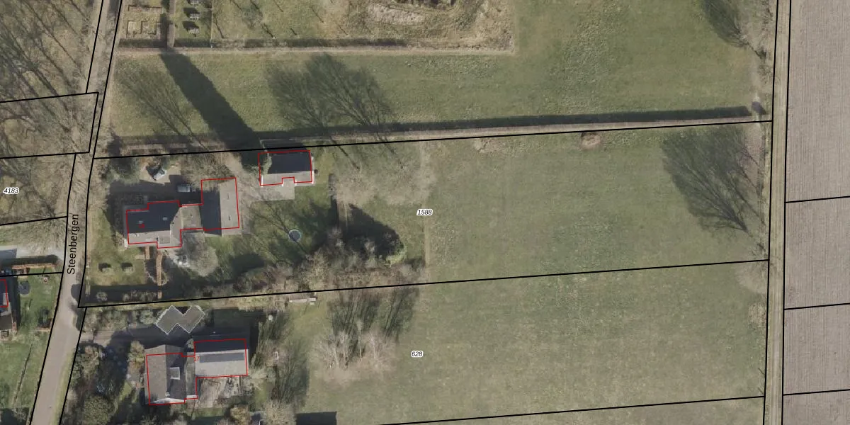
Perceel: ZWD02-Q-1588
KadastraleKaart.com kan meer dan je denktOntdek meer ›
Filter op bestemming 50+ datasets Eigendomsdata in één klik Percelen CRM
5.519 m2 - 391 m
Eigenaar opvragen
ZWD02-Q-1588 (Zuidwolde)
- 7921 BV
ylFlFFYkLgK5fMsAbyFkf0DJ8qYPCFUpgrade naar KadastraleKaart Pro
Verkoopprijs opvragen
Bekijk op Street View
Download DWG/DXF/Excel
z GH8l3B1uZYzvCbUpgrade naar KadastraleKaart Pro
ybX5IJVaQY3DYk m83Upgrade naar KadastraleKaart Pro
62nU3wQOfQVxtK0eJueyyK4Upgrade naar KadastraleKaart Pro
wuUBPHZz38BXbEsMUpgrade naar KadastraleKaart Pro
jQAcw s2S3n7OiivywtbUpgrade naar KadastraleKaart Pro
G6CLmxNkCTaZX7quh9YnUpgrade naar KadastraleKaart Pro
DgseedIrQ6TaHUpgrade naar KadastraleKaart Pro
pOqx1un7C0Rj L1QCdKu QUpgrade naar KadastraleKaart Pro
1G8VxDnG1k4Upgrade naar KadastraleKaart Pro
DWbEx RXxbUpgrade naar KadastraleKaart Pro
29/06/2015

Percelen
Gebruik de zoekbalk of klik op een perceel om informatie over het perceel te bekijken.