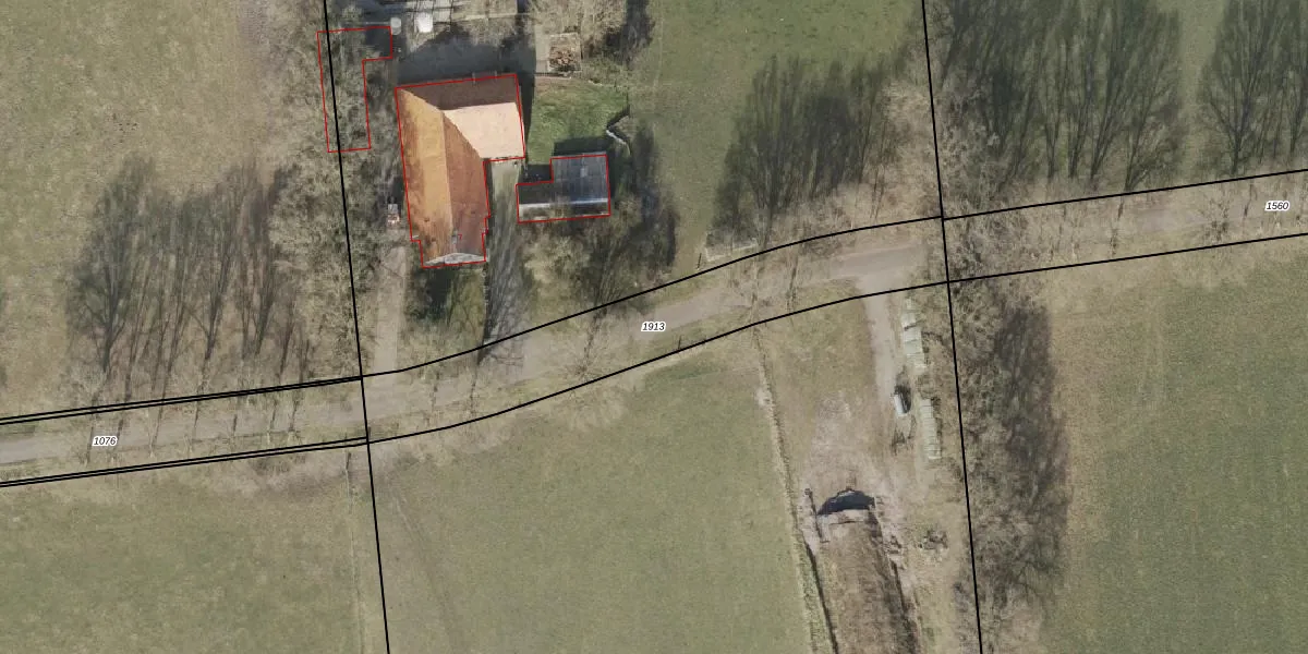
Perceel: ZWD02-Q-1913
Geen adressen bij dit perceel
945 m2 - 205 m
Eigenaar opvragen
ZWD02-Q-1913 (Zuidwolde)
- Geen postcode aanwezig
ksEArnndH4gpw5fwVMR7Upgrade naar KadastraleKaart Pro
Bekijk op Street View
Download DWG/DXF/Excel
diwVO81RHrItUr AUpgrade naar KadastraleKaart Pro
fgp46eby7M 76dyJN EUpgrade naar KadastraleKaart Pro
DoGh xaA dWfyPO4 e57wVUpgrade naar KadastraleKaart Pro
jFu3b2 l ANYUtokL RUpgrade naar KadastraleKaart Pro
4WWjTEIvNqVGMOXpEYUpgrade naar KadastraleKaart Pro
knUL3NNdJHpTe Upgrade naar KadastraleKaart Pro
APieuZYmUpgrade naar KadastraleKaart Pro
I2f5SCV hG5sR t uWgSUpgrade naar KadastraleKaart Pro
C7TexOQ5UAUem4bqQONURUpgrade naar KadastraleKaart Pro
2enMuva tr WUpgrade naar KadastraleKaart Pro
29/06/2015

Percelen
Gebruik de zoekbalk of klik op een perceel om informatie over het perceel te bekijken.