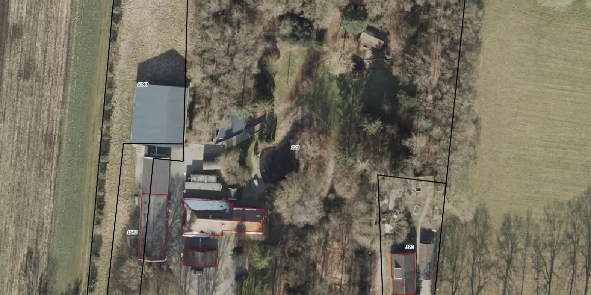
Perceel: ZWD02-Q-223
KadastraleKaart.com kan meer dan je denktOntdek meer ›
Filter op bestemming 50+ datasets Eigendomsdata in één klik Percelen CRM
10.350 m2 - 453 m
Eigenaar opvragen
ZWD02-Q-223 (Zuidwolde)
- 7921 KD
1NVO8M4w 2Un4xpFDUpgrade naar KadastraleKaart Pro
Verkoopprijs opvragen
Bekijk op Street View
Download DWG/DXF/Excel
3dLCNRRDUpgrade naar KadastraleKaart Pro
3b N6U9 uwUpgrade naar KadastraleKaart Pro
AQxZHuMWIYIBrg N kQDxUpgrade naar KadastraleKaart Pro
c2w6uH3GUpgrade naar KadastraleKaart Pro
o0Jg4aMoUpgrade naar KadastraleKaart Pro
KZdJOPuAXCqXe LQ0axQZoWUpgrade naar KadastraleKaart Pro
kO0wNa60Upgrade naar KadastraleKaart Pro
cptih14BjGqUYO5jUpgrade naar KadastraleKaart Pro
qp5zEvcNJ5hBVptz1N 7sMWUpgrade naar KadastraleKaart Pro
UC i2d65oKFueQ1Upgrade naar KadastraleKaart Pro
29/06/2015

Percelen
Gebruik de zoekbalk of klik op een perceel om informatie over het perceel te bekijken.