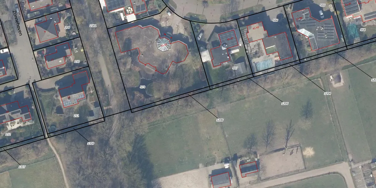
Perceel: ZWD03-E-1206
Geen adressen bij dit perceel
79 m2 - 91 m
Eigenaar opvragen
ZWD03-E-1206 (Zeewolde)
- Geen postcode aanwezig
KpO V C9Q9cRxkwLSccrq 2E0dtorUpgrade naar KadastraleKaart Pro
Bekijk op Street View
Download DWG/DXF/Excel
tb2i6D CBlUpgrade naar KadastraleKaart Pro
bRexpZvMauFj s4oOOIfAiUpgrade naar KadastraleKaart Pro
nOnkkuEn3N51qODPLyuUpgrade naar KadastraleKaart Pro
dXYndtojm4Z7 zb 6XxUpgrade naar KadastraleKaart Pro
VT3J1mmGugoYc5kYUpgrade naar KadastraleKaart Pro
FqBGB44sC4wf u Uhx0dUpgrade naar KadastraleKaart Pro
0KxREmdfhvjzTNUpgrade naar KadastraleKaart Pro
pc4YxLJdARLNpU nj7OUpgrade naar KadastraleKaart Pro
w283 wAPgqUpgrade naar KadastraleKaart Pro
xxCCGh2b Upgrade naar KadastraleKaart Pro
06/04/2009

Percelen
Gebruik de zoekbalk of klik op een perceel om informatie over het perceel te bekijken.