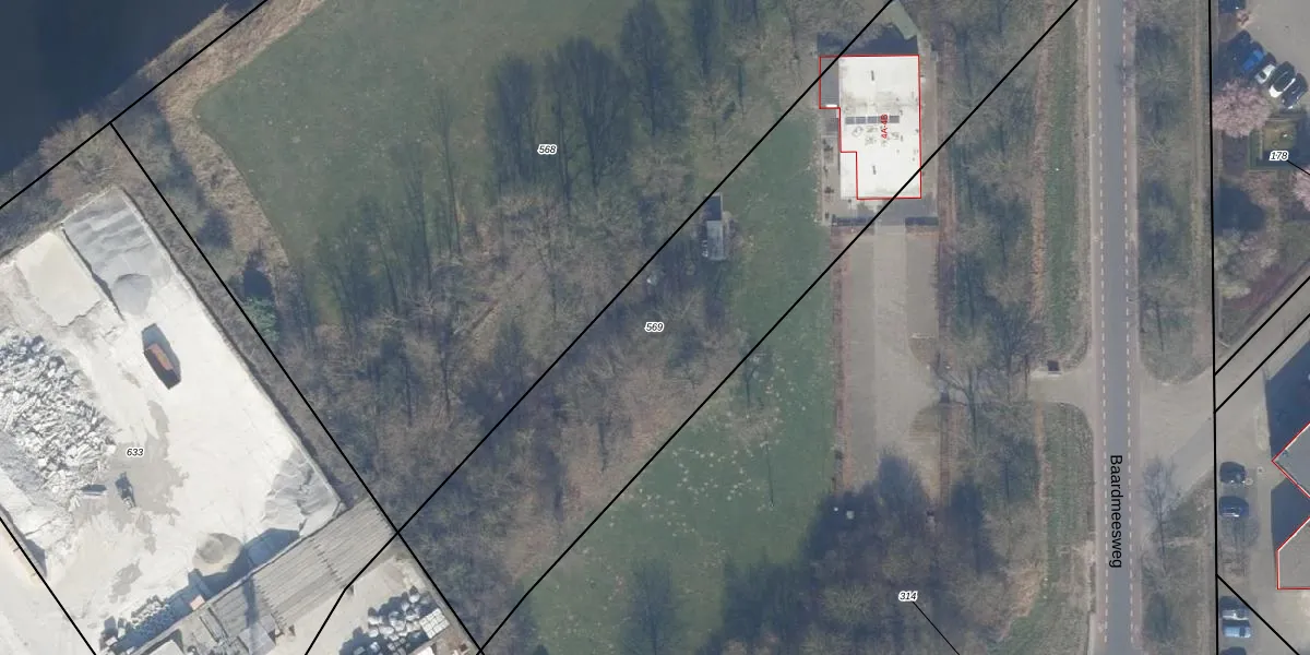
Perceel: ZWD03-F-569
KadastraleKaart.com kan meer dan je denktOntdek meer ›
Filter op bestemming 50+ datasets Eigendomsdata in één klik Percelen CRM
9.980 m2 - 1.018 m
Eigenaar opvragen
ZWD03-F-569 (Zeewolde)
- 3899 XS
9vlkUX EoQBxujpplhGS vUpgrade naar KadastraleKaart Pro
Bekijk op Street View
Download DWG/DXF/Excel
U7dMZL8 ME80Upgrade naar KadastraleKaart Pro
IkZCboBK9sM5MQwFUpgrade naar KadastraleKaart Pro
F4Oiir1R7f65hgos0LHUpgrade naar KadastraleKaart Pro
Kdf49SQKdFx5HUdFMo5BZOUpgrade naar KadastraleKaart Pro
3qikliTe5SP5utUoj6dUpgrade naar KadastraleKaart Pro
1v czBIw3Upgrade naar KadastraleKaart Pro
2Pl Che2Upgrade naar KadastraleKaart Pro
psJB0IzNHkBvXItQ 7LLu9Upgrade naar KadastraleKaart Pro
yftd8ysdTQ2rg2Upgrade naar KadastraleKaart Pro
NTR ednca77vDHZsOUpgrade naar KadastraleKaart Pro
02/06/2016

Percelen
Gebruik de zoekbalk of klik op een perceel om informatie over het perceel te bekijken.