
Heidedijk 2 is gelegen in de plaats Aalten, de gemeente Aalten en de provincie Gelderland. Het object heeft een oppervlakte van 170 m², wat relatief groot is. Het perceel waarop het adres ligt is 3750 m² groot. Het object is klein ten opzichte van de andere adressen in de straat. Het grootste verblijfsobject is 389 m² groot en het kleinste is 98 m². Het gebouw waarin Heidedijk 2 ligt komt uit het jaar 1900. Objecten die gebouwd zijn vóór 1965 classificeren we hier als oud. Het gemiddelde bouwjaar in de straat is 1940 en dat van het nieuwste object 2015. In de straat is dit het oudste pand. Voor het verblijfsobject gelden deze gebruiksdoelen: 'woonfunctie'.
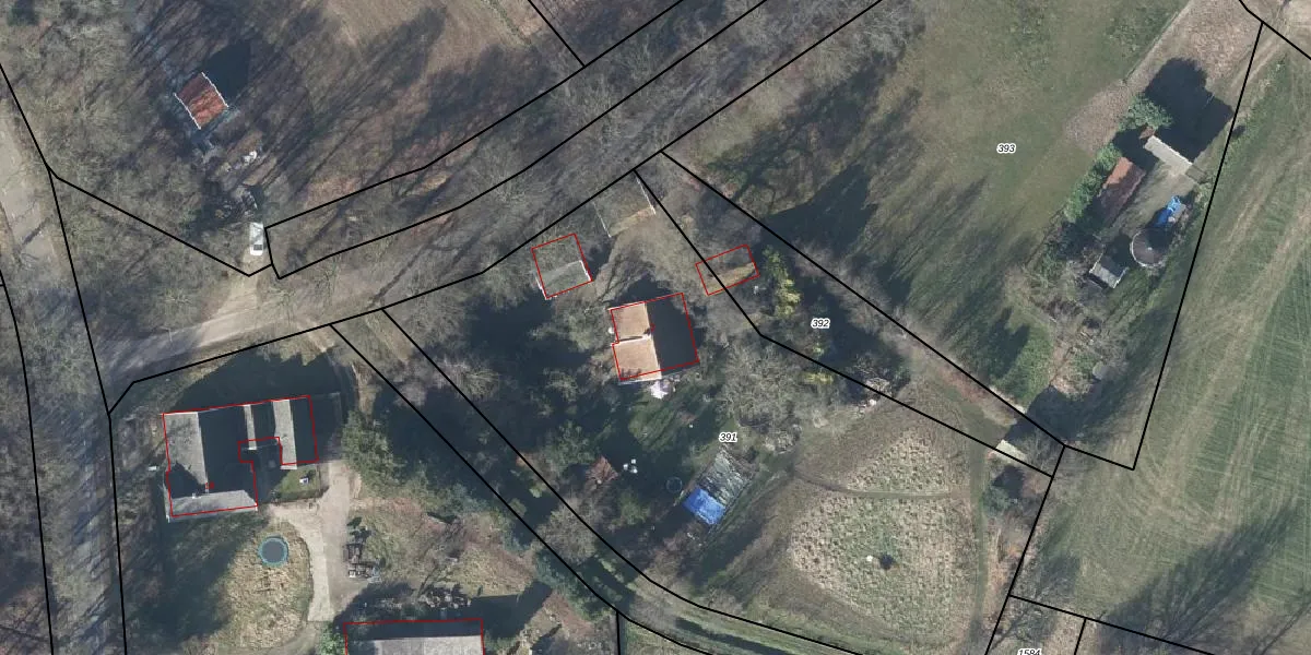
Het perceel waarop het adres ligt is ATN02-O-391. De afkorting 'ATN02' staat voor kadastrale gemeente Aalten. De gemiddelde perceelgrootte in Aalten is 5770,06 m². Dit perceel is kleiner: de perceeloppervlakte bedraagt 3750 m². Het kleinste perceel in de kadastrale gemeente is 0 m² groot. De grootste perceeloppervlakte is 36,2 ha. Dit is het enige adres dat aanwezig is op het perceel. De laatste wijziging in het de Basisregistratie Kadaster (BRK) was op 09-10-2018.
Er is geen energielabel geregistreerd voor het adres. Het hoogste energielabel in de straat is A++; het laagste is G. Het gemiddelde energielabel is er D. Het adres Heidedijk 2 heeft als status: 'verblijfsobject in gebruik'. Het pand waarin dit adres ligt heeft als status: 'pand in gebruik'.
Heidedijk 2 is een adres gelegen in de gemeente Aalten, provincie Gelderland. Dit adres is geregistreerd in de Basisregistratie Adressen en Gebouwen (BAG) met als unieke identificatie 0197010000000931.
Het pand op Heidedijk 2 is gebouwd in 1900, wat betekent dat het 126 jaar oud is. Dit is een ouder pand. Het pand heeft mogelijk aanzienlijke renovaties nodig om aan de huidige standaarden te voldoen.
De woning op Heidedijk 2 heeft een gebruiksoppervlakte van 170 m². Dit is ruim vergeleken met de gemiddelde Nederlandse woning, die een oppervlakte heeft van ongeveer 119 m². De gebruiksoppervlakte is de maat die wordt gebruikt in de BAG-registratie, de landelijke registratie van de Nederlandse overheid.
Heidedijk 2 heeft als functie: wonen. Deze gebruiksfunctie(s) zijn vastgelegd in de BAG-registratie en geven aan waarvoor het adres officieel mag worden gebruikt.
Heidedijk 2 is gelegen op kadastraal perceel ATN02O391. Deze kadastrale aanduiding is uniek en wordt gebruikt door het Kadaster om eigendomsrechten en andere zakelijke rechten vast te leggen. Het perceel maakt onderdeel uit van de kadastrale gemeente Aalten.
Het perceel waarop Heidedijk 2 staat heeft een oppervlakte van 3750 m². Dit is een zeer groot perceel. De perceeloppervlakte wordt geregistreerd door het Kadaster. Gedetailleerde informatie over de maten van dit perceel kunt u vinden in het rapport Kadastrale kaart met maatvoering van Heidedijk 2.
De eigenaar van Heidedijk 2 is op te vragen op deze pagina.
De informatie over dit adres is afkomstig uit officiële overheidsregistraties, voornamelijk de Basisregistratie Adressen en Gebouwen (BAG) en de Basisregistratie Kadaster (BRK). Deze gegevens worden beheerd door respectievelijk gemeenten en het Kadaster, en worden regelmatig bijgewerkt. Energielabelgegevens komen uit de database van de Rijksdienst voor Ondernemend Nederland (RVO).
