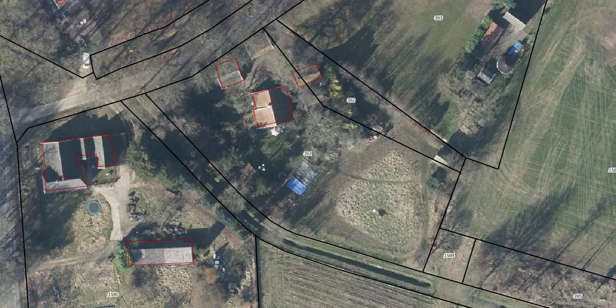
Perceel: ATN02-O-391
KadastraleKaart.com kan meer dan je denktOntdek meer ›
Filter op bestemming 50+ datasets Eigendomsdata in één klik Percelen CRM
3.750 m2 - 271 m
Eigenaar opvragen
ATN02-O-391 (Aalten)
- 7121 LR
vNfUmyMVFteJiCxe2qKg87YjyTOOJUpgrade naar KadastraleKaart Pro
Bekijk op Street View
Download DWG/DXF/Excel
KilvXGgLB8id8kx clpaUpgrade naar KadastraleKaart Pro
HMaqBjvDQ79 1N1dSLUpgrade naar KadastraleKaart Pro
c 4rFwBVrhX8eYjn7yHF0PUpgrade naar KadastraleKaart Pro
4Ke oh tKC4ufVm JlYNht5Upgrade naar KadastraleKaart Pro
MvxqTFfCfGBZiDd Upgrade naar KadastraleKaart Pro
xHsh RXFmwqMUpgrade naar KadastraleKaart Pro
YwqUnYgRue gzk7hUpgrade naar KadastraleKaart Pro
J4ylap7IIPEUpgrade naar KadastraleKaart Pro
5TXywIay Upgrade naar KadastraleKaart Pro
hHnf 4t6 m3xxwUpgrade naar KadastraleKaart Pro
09/10/2018

Percelen
Gebruik de zoekbalk of klik op een perceel om informatie over het perceel te bekijken.