
Het adres Holkerweg 4 bevindt zich in de plaats Amersfoort, in de gemeente Amersfoort en de provincie Utrecht. De oppervlakte van het object bedraagt 46 m². Dat is klein vergeleken met het Nederlandse gemiddelde. Het perceel waarop het adres ligt is 3223 m² groot. Er zijn geen kleinere objecten in deze straat. De gemiddelde oppervlakte is er 88 m². Het grootste verblijfsobject is 177 m². De meeste Nederlandse gebouwen zijn gebouwd in de periode 1965-1984. Zo ook het pand waarin Holkerweg 4 ligt, dat gebouwd is in 1980. Veel andere gebouwen in de straat zijn ouder dan dit pand. Het oudste pand komt uit het jaar 1972 en het nieuwste uit 1984. Het verblijfsobject heeft de volgende gebruiksdoelen: 'woonfunctie'.
Deze woning is voor het laatst verkocht op 1 december 2014. Meer informatie over deze transactie? Bestel het Woningtransactierapport om de verkoopprijs en andere informatie te zien.
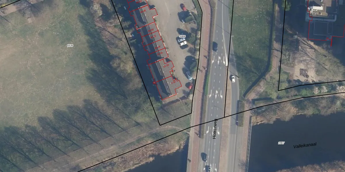
Het adres ligt op het perceel AMF00-K-5968, dat zich in de kadastrale gemeente Amersfoort bevindt. De gemiddelde perceeloppervlakte in de kadastrale gemeente Amersfoort is 960,23 m². Dit perceel is met zijn 3223 m² dus groter dan gemiddeld. De grootste perceeloppervlakte in de kadastrale gemeente is 1,12 km². De kleinste oppervlakte bedraagt 0 m². Op het perceel zijn 28 adressen aanwezig. In de Basisregistratie Kadaster (BRK) werden de grenzen van het perceel geregistreerd op 19-11-2008.
Er is geen energielabel geregistreerd voor het adres. Het hoogste energielabel in de straat is A; het laagste is G. Het gemiddelde energielabel is er B. Het adres Holkerweg 4 heeft als status: 'verblijfsobject in gebruik'. Het pand waarin dit adres ligt heeft als status: 'pand in gebruik'.
Holkerweg 4 is een adres gelegen in de gemeente Amersfoort, provincie Utrecht. Dit adres is geregistreerd in de Basisregistratie Adressen en Gebouwen (BAG) met als unieke identificatie 0307010000516505.
Het pand op Holkerweg 4 is gebouwd in 1980, wat betekent dat het 46 jaar oud is. Dit is een pand van middelbare leeftijd. Het pand is van gemiddelde leeftijd en zal waarschijnlijk verouderde elementen bevatten.
De woning op Holkerweg 4 heeft een gebruiksoppervlakte van 46 m². Dit is relatief klein vergeleken met de gemiddelde Nederlandse woning, die een oppervlakte heeft van ongeveer 119 m². De gebruiksoppervlakte is de maat die wordt gebruikt in de BAG-registratie, de landelijke registratie van de Nederlandse overheid.
Holkerweg 4 heeft als functie: wonen. Deze gebruiksfunctie(s) zijn vastgelegd in de BAG-registratie en geven aan waarvoor het adres officieel mag worden gebruikt.
Holkerweg 4 is gelegen op kadastraal perceel AMF00K5968. Deze kadastrale aanduiding is uniek en wordt gebruikt door het Kadaster om eigendomsrechten en andere zakelijke rechten vast te leggen. Het perceel maakt onderdeel uit van de kadastrale gemeente Amersfoort.
Het perceel waarop Holkerweg 4 staat heeft een oppervlakte van 3223 m². Dit is een zeer groot perceel. De perceeloppervlakte wordt geregistreerd door het Kadaster. Gedetailleerde informatie over de maten van dit perceel kunt u vinden in het rapport Kadastrale kaart met maatvoering van Holkerweg 4.
De eigenaar van Holkerweg 4 is op te vragen op deze pagina
De informatie over dit adres is afkomstig uit officiële overheidsregistraties, voornamelijk de Basisregistratie Adressen en Gebouwen (BAG) en de Basisregistratie Kadaster (BRK). Deze gegevens worden beheerd door respectievelijk gemeenten en het Kadaster, en worden regelmatig bijgewerkt. Energielabelgegevens komen uit de database van de Rijksdienst voor Ondernemend Nederland (RVO).
