
Commissieweg 43 is een adres in Beetsterzwaag, dat zich bevindt binnen de gemeentegrenzen van Beetsterzwaag en de grenzen van de provincie Friesland. Het perceel waarop het adres gelegen is heeft een oppervlakte van 3335 m². Het verblijfsobject is met 94 m² relatief klein. Vergeleken met de andere verblijfsobjecten in de straat is dit object groot. De oppervlakte van het grootste object in de straat is 2132 m², die van het kleinste bedraagt 12 m². Commissieweg 43 ligt in een gebouw uit het jaar 1991. Daarmee behoort het tot de groep panden van na 1984, die we als relatief nieuw bestempelen. Het bouwjaar is oud vergeleken met dat van de andere panden in de straat. Het oudste bouwjaar is er 1917 en de nieuwste is 2024. Voor het verblijfsobject gelden deze gebruiksdoelen: 'woonfunctie'.
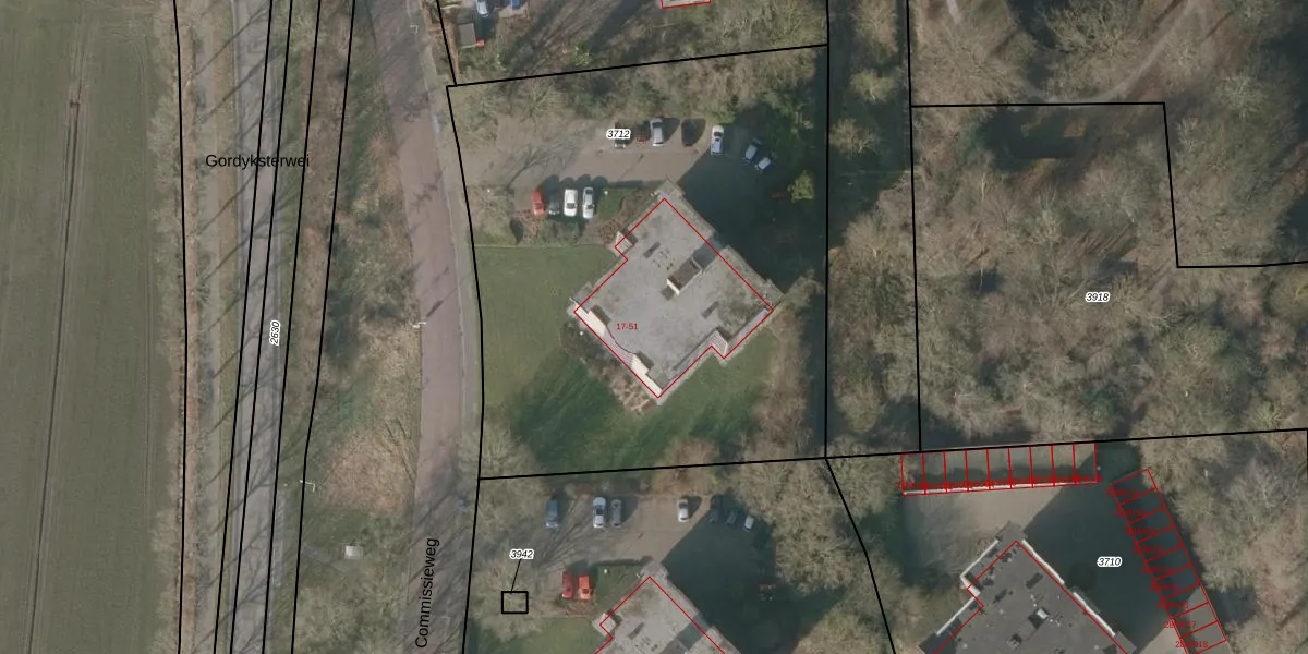
Het adres is gelegen op perceel 3712 in de sectie B en de kadastrale gemeente Beetsterzwaag. De kadastrale aanduiding is aldus BSZ00-B-3712. De gemiddelde perceelgrootte in Beetsterzwaag is 1,0 ha. Dit perceel is kleiner: de perceeloppervlakte bedraagt 3335 m². Het grootste perceel in de kadastrale gemeente is 65,5 ha. Het kleinste perceel heeft een oppervlakte van 0 m². Er zijn 18 adressen aanwezig op het perceel. De huidige grenzen van het perceel zijn digitaal in de Basisregistratie Kadaster (BRK) geregistreerd op 15-01-1998.
Het adres ligt in een gebouw van het type 'appartement met het subtype hoekmidden'. Bij de laatste meting is voor het adres het energielabel B geregistreerd. Het hoogste energielabel in de straat is A; het laagste is G. Het gemiddelde energielabel is er B. Het adres Commissieweg 43 heeft als status: 'verblijfsobject in gebruik'. Het pand waarin dit adres ligt heeft als status: 'pand in gebruik'.
Commissieweg 43 is een adres gelegen in de gemeente Opsterland, provincie Friesland. Dit adres is geregistreerd in de Basisregistratie Adressen en Gebouwen (BAG) met als unieke identificatie 0086010000389648.
Het pand op Commissieweg 43 is gebouwd in 1991, wat betekent dat het 35 jaar oud is. Dit is een pand van middelbare leeftijd. Het pand is van gemiddelde leeftijd en zal waarschijnlijk verouderde elementen bevatten.
De woning op Commissieweg 43 heeft een gebruiksoppervlakte van 94 m². Dit is onder het gemiddelde vergeleken met de gemiddelde Nederlandse woning, die een oppervlakte heeft van ongeveer 119 m². De gebruiksoppervlakte is de maat die wordt gebruikt in de BAG-registratie, de landelijke registratie van de Nederlandse overheid.
Commissieweg 43 heeft als functie: wonen. Deze gebruiksfunctie(s) zijn vastgelegd in de BAG-registratie en geven aan waarvoor het adres officieel mag worden gebruikt.
Commissieweg 43 is gelegen op kadastraal perceel BSZ00B3712. Deze kadastrale aanduiding is uniek en wordt gebruikt door het Kadaster om eigendomsrechten en andere zakelijke rechten vast te leggen. Het perceel maakt onderdeel uit van de kadastrale gemeente Beetsterzwaag.
Het perceel waarop Commissieweg 43 staat heeft een oppervlakte van 3335 m². Dit is een zeer groot perceel. De perceeloppervlakte wordt geregistreerd door het Kadaster. Gedetailleerde informatie over de maten van dit perceel kunt u vinden in het rapport Kadastrale kaart met maatvoering van Commissieweg 43.
De eigenaar van Commissieweg 43 is op te vragen op deze pagina.
De informatie over dit adres is afkomstig uit officiële overheidsregistraties, voornamelijk de Basisregistratie Adressen en Gebouwen (BAG) en de Basisregistratie Kadaster (BRK). Deze gegevens worden beheerd door respectievelijk gemeenten en het Kadaster, en worden regelmatig bijgewerkt. Energielabelgegevens komen uit de database van de Rijksdienst voor Ondernemend Nederland (RVO).
