
Laan van Mertersem 2 is een adres in Breda, dat zich bevindt binnen de gemeentegrenzen van Breda en de grenzen van de provincie Noord-Brabant. De oppervlakte bedraagt 301 m², waarmee het adres groter dan gemiddeld is. De grootte van het perceel waarop het adres ligt is 1500 m². De oppervlakte van dit adres is groot vergeleken met de oppervlaktes van andere adressen in de straat. De kleinste oppervlakte bedraagt er 16 m², de grootste 691 m². Het adres Laan van Mertersem 2 ligt in een relatief oud pand uit het jaar 1933. Panden van vóór het jaar 1965 hebben we hier geclassificeerd als oud. Dit is het oudste object in de straat. Het nieuwste pand komt uit 2002 en het gemiddelde bouwjaar in de straat is 1957. Voor het verblijfsobject gelden deze gebruiksdoelen: 'woonfunctie'.
Deze woning is voor het laatst verkocht op 1 oktober 2007. Meer informatie over deze transactie? Bestel het Woningtransactierapport om de verkoopprijs en andere informatie te zien.
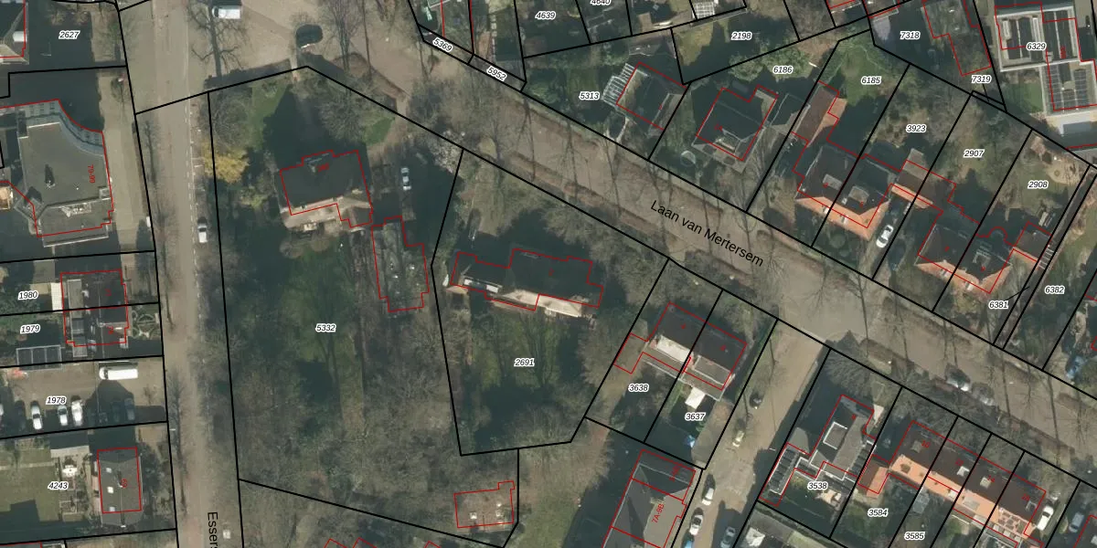
Het adres ligt op het perceel PCH00-I-2691, dat zich in de kadastrale gemeente Princenhage bevindt. De gemiddelde perceelgrootte in Princenhage is 2923,92 m². Dit perceel is kleiner: de perceeloppervlakte bedraagt 1500 m². De grootste perceeloppervlakte in de kadastrale gemeente is 31,9 ha. De kleinste oppervlakte bedraagt 0 m². Er zijn geen andere adressen aanwezig op het perceel. De huidige grenzen van het perceel zijn digitaal in de Basisregistratie Kadaster (BRK) geregistreerd op 19-02-2021.
Er is geen energielabel geregistreerd voor het adres. Het hoogste energielabel in de straat is A+; het laagste is G. Het gemiddelde energielabel is er B. Het adres Laan van Mertersem 2 heeft als status: 'verblijfsobject in gebruik'. Het pand waarin dit adres ligt heeft als status: 'pand in gebruik'.
Laan van Mertersem 2 is een adres gelegen in de gemeente Breda, provincie Noord-Brabant. Dit adres is geregistreerd in de Basisregistratie Adressen en Gebouwen (BAG) met als unieke identificatie 0758010000036374.
Het pand op Laan van Mertersem 2 is gebouwd in 1933, wat betekent dat het 93 jaar oud is. Dit is een ouder pand. Het pand heeft mogelijk aanzienlijke renovaties nodig om aan de huidige standaarden te voldoen.
De woning op Laan van Mertersem 2 heeft een gebruiksoppervlakte van 301 m². Dit is ruim vergeleken met de gemiddelde Nederlandse woning, die een oppervlakte heeft van ongeveer 119 m². De gebruiksoppervlakte is de maat die wordt gebruikt in de BAG-registratie, de landelijke registratie van de Nederlandse overheid.
Laan van Mertersem 2 heeft als functie: wonen. Deze gebruiksfunctie(s) zijn vastgelegd in de BAG-registratie en geven aan waarvoor het adres officieel mag worden gebruikt.
Laan van Mertersem 2 is gelegen op kadastraal perceel PCH00I2691. Deze kadastrale aanduiding is uniek en wordt gebruikt door het Kadaster om eigendomsrechten en andere zakelijke rechten vast te leggen. Het perceel maakt onderdeel uit van de kadastrale gemeente Princenhage.
Het perceel waarop Laan van Mertersem 2 staat heeft een oppervlakte van 1500 m². Dit is een zeer groot perceel. De perceeloppervlakte wordt geregistreerd door het Kadaster. Gedetailleerde informatie over de maten van dit perceel kunt u vinden in het rapport Kadastrale kaart met maatvoering van Laan van Mertersem 2.
De eigenaar van Laan van Mertersem 2 is op te vragen op deze pagina.
De informatie over dit adres is afkomstig uit officiƫle overheidsregistraties, voornamelijk de Basisregistratie Adressen en Gebouwen (BAG) en de Basisregistratie Kadaster (BRK). Deze gegevens worden beheerd door respectievelijk gemeenten en het Kadaster, en worden regelmatig bijgewerkt. Energielabelgegevens komen uit de database van de Rijksdienst voor Ondernemend Nederland (RVO).
