
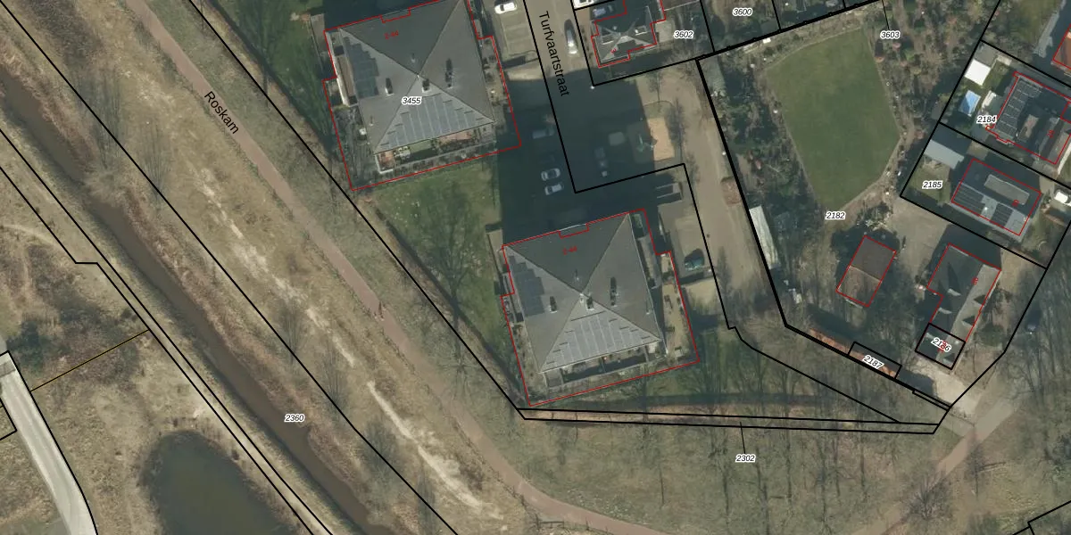
Turfvaartstraat 24 is een adres in Breda, dat zich bevindt binnen de gemeentegrenzen van Breda en de grenzen van de provincie Noord-Brabant. Het verblijfsobject is 122 m² groot en bevindt zich op een perceel met een oppervlakte van 7451 m². Gemiddeld hebben adressen in Nederland een oppervlakte van 119 m². Het adres is klein vergeleken met andere objecten in de straat. Het grootste object in de straat heeft een oppervlakte van 229 m², het kleinste is 107 m² groot. In het jaar 2004 is het pand waarin Turfvaartstraat 24 ligt gebouwd. Dat is relatief recent: de meeste gebouwen in Nederland zijn gebouwd in de periode 1965-1984. Het gemiddelde bouwjaar in de straat is 2004 en dat van het oudste pand is 2003. Dit is het nieuwste object in de straat. Voor het verblijfsobject gelden deze gebruiksdoelen: 'woonfunctie'.
Het adres ligt op het perceel PCH00-N-3455, dat zich in de kadastrale gemeente Princenhage bevindt. Het perceel is met 7451 m² relatief groot. Het gemiddelde ligt in de kadastrale gemeente Princenhage op 2923,92 m². De grootste perceeloppervlakte in de kadastrale gemeente is 31,9 ha. De kleinste oppervlakte bedraagt 0 m². Er zijn 66 adressen aanwezig op het perceel. De huidige grenzen van het perceel zijn digitaal in de Basisregistratie Kadaster (BRK) geregistreerd op 11-10-2006.
Er is geen energielabel geregistreerd voor het adres. Het hoogste energielabel in de straat is A+; het laagste is G. Het gemiddelde energielabel is er A. Het adres Turfvaartstraat 24 heeft als status: 'verblijfsobject in gebruik'. Het pand waarin dit adres ligt heeft als status: 'pand in gebruik'.
Turfvaartstraat 24 is een adres gelegen in de gemeente Breda, provincie Noord-Brabant. Dit adres is geregistreerd in de Basisregistratie Adressen en Gebouwen (BAG) met als unieke identificatie 0758010000003616.
Het pand op Turfvaartstraat 24 is gebouwd in 2004, wat betekent dat het 22 jaar oud is. Dit is een relatief modern pand. Ten opzichte van de nationale woningvoorraad is het pand relatief modern, maar er kunnen enkele verouderde elementen zijn die aandacht nodig hebben.
De woning op Turfvaartstraat 24 heeft een gebruiksoppervlakte van 122 m². Dit is gemiddeld vergeleken met de gemiddelde Nederlandse woning, die een oppervlakte heeft van ongeveer 119 m². De gebruiksoppervlakte is de maat die wordt gebruikt in de BAG-registratie, de landelijke registratie van de Nederlandse overheid.
Turfvaartstraat 24 heeft als functie: wonen. Deze gebruiksfunctie(s) zijn vastgelegd in de BAG-registratie en geven aan waarvoor het adres officieel mag worden gebruikt.
Turfvaartstraat 24 is gelegen op kadastraal perceel PCH00N3455. Deze kadastrale aanduiding is uniek en wordt gebruikt door het Kadaster om eigendomsrechten en andere zakelijke rechten vast te leggen. Het perceel maakt onderdeel uit van de kadastrale gemeente Princenhage.
Het perceel waarop Turfvaartstraat 24 staat heeft een oppervlakte van 7451 m². Dit is een zeer groot perceel. De perceeloppervlakte wordt geregistreerd door het Kadaster. Gedetailleerde informatie over de maten van dit perceel kunt u vinden in het rapport Kadastrale kaart met maatvoering van Turfvaartstraat 24.
De eigenaar van Turfvaartstraat 24 is op te vragen op deze pagina.
De informatie over dit adres is afkomstig uit officiële overheidsregistraties, voornamelijk de Basisregistratie Adressen en Gebouwen (BAG) en de Basisregistratie Kadaster (BRK). Deze gegevens worden beheerd door respectievelijk gemeenten en het Kadaster, en worden regelmatig bijgewerkt. Energielabelgegevens komen uit de database van de Rijksdienst voor Ondernemend Nederland (RVO).
