
Het adres Parallelweg 1 bevindt zich in de plaats Budel-Schoot, in de gemeente Budel-Schoot en de provincie Noord-Brabant. De oppervlakte van het adres is 102 m². Dat is vergelijkbaar met het gemiddelde Nederlandse oppervlakte van 119 m². De oppervlakte van het perceel waarin het adres ligt is 519 m². Het object is klein ten opzichte van de andere adressen in de straat. Het grootste verblijfsobject is 1763 m² groot en het kleinste is 5 m². Het adres Parallelweg 1 ligt in een relatief oud pand uit het jaar 1936. Panden van vóór het jaar 1965 hebben we hier geclassificeerd als oud. Het nieuwste gebouw in de straat komt uit 2025 en het oudste uit 1880. Dit object is relatief oud. Het verblijfsobject heeft de volgende gebruiksdoelen: 'woonfunctie'.
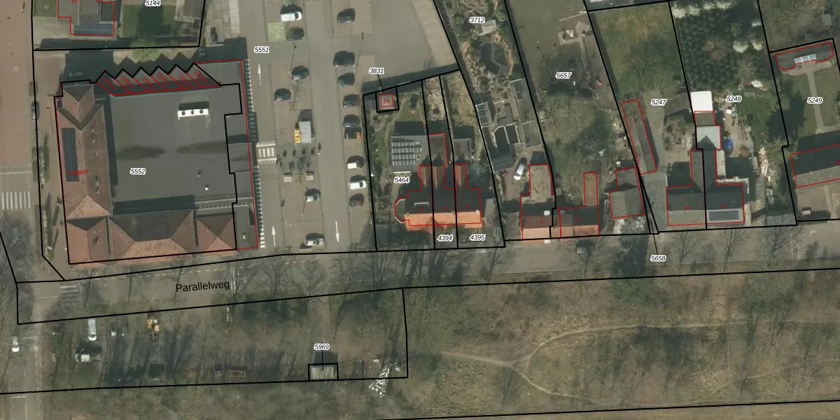
Het perceel waarop het adres ligt is BDL02-D-5464. De afkorting 'BDL02' staat voor kadastrale gemeente Budel. Het perceel is kleiner dan gemiddeld in Budel. Het perceel is 519 m² groot, terwijl het gemiddelde ligt op 4698,32 m². De grootste perceeloppervlakte in de kadastrale gemeente is 1,97 km². De kleinste oppervlakte bedraagt 0 m². Op het perceel bevinden zich geen andere adressen. In de Basisregistratie Kadaster (BRK) werden de grenzen van het perceel geregistreerd op 01-03-2005.
Er is geen energielabel geregistreerd voor het adres. Het hoogste energielabel in de straat is A; het laagste is G. Het gemiddelde energielabel is er D. Het adres Parallelweg 1 heeft als status: 'verblijfsobject in gebruik'. Het pand waarin dit adres ligt heeft als status: 'pand in gebruik'.
Parallelweg 1 is een adres gelegen in de gemeente Cranendonck, provincie Noord-Brabant. Dit adres is geregistreerd in de Basisregistratie Adressen en Gebouwen (BAG) met als unieke identificatie 1706010000016276.
Het pand op Parallelweg 1 is gebouwd in 1936, wat betekent dat het 90 jaar oud is. Dit is een ouder pand. Het pand heeft mogelijk aanzienlijke renovaties nodig om aan de huidige standaarden te voldoen.
De woning op Parallelweg 1 heeft een gebruiksoppervlakte van 102 m². Dit is onder het gemiddelde vergeleken met de gemiddelde Nederlandse woning, die een oppervlakte heeft van ongeveer 119 m². De gebruiksoppervlakte is de maat die wordt gebruikt in de BAG-registratie, de landelijke registratie van de Nederlandse overheid.
Parallelweg 1 heeft als functie: wonen. Deze gebruiksfunctie(s) zijn vastgelegd in de BAG-registratie en geven aan waarvoor het adres officieel mag worden gebruikt.
Parallelweg 1 is gelegen op kadastraal perceel BDL02D5464. Deze kadastrale aanduiding is uniek en wordt gebruikt door het Kadaster om eigendomsrechten en andere zakelijke rechten vast te leggen. Het perceel maakt onderdeel uit van de kadastrale gemeente Budel.
Het perceel waarop Parallelweg 1 staat heeft een oppervlakte van 519 m². Dit is een groot perceel. De perceeloppervlakte wordt geregistreerd door het Kadaster. Gedetailleerde informatie over de maten van dit perceel kunt u vinden in het rapport Kadastrale kaart met maatvoering van Parallelweg 1.
De eigenaar van Parallelweg 1 is op te vragen op deze pagina.
De informatie over dit adres is afkomstig uit officiële overheidsregistraties, voornamelijk de Basisregistratie Adressen en Gebouwen (BAG) en de Basisregistratie Kadaster (BRK). Deze gegevens worden beheerd door respectievelijk gemeenten en het Kadaster, en worden regelmatig bijgewerkt. Energielabelgegevens komen uit de database van de Rijksdienst voor Ondernemend Nederland (RVO).
