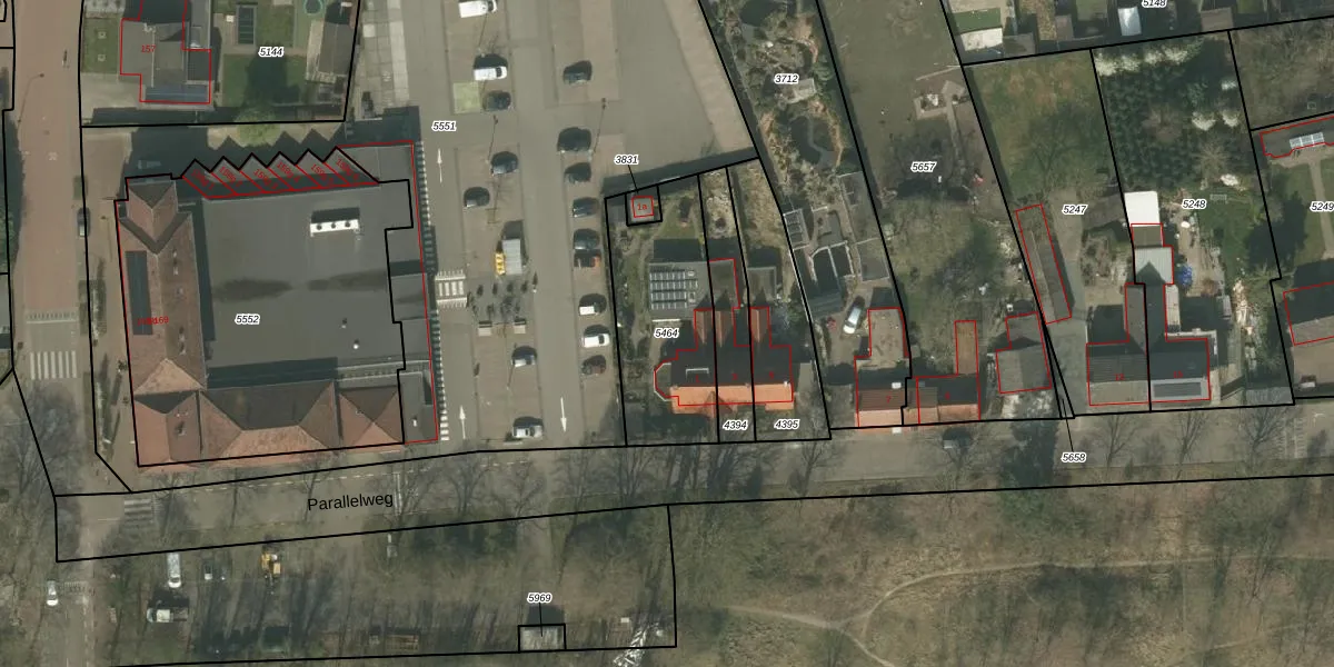
Perceel: BDL02-D-5464
KadastraleKaart.com kan meer dan je denktOntdek meer ›
Filter op bestemming 50+ datasets Eigendomsdata in één klik Percelen CRM
519 m2 - 117 m
Eigenaar opvragen
BDL02-D-5464 (Budel)
- 6023 BA
tKH pp9QSd 6 qvIUpgrade naar KadastraleKaart Pro
Bekijk op Street View
Download DWG/DXF/Excel
VjnmkvzUsUpgrade naar KadastraleKaart Pro
ezevsj4I0jUpgrade naar KadastraleKaart Pro
cEXIqV EN swWkVVUpgrade naar KadastraleKaart Pro
HqWcy8asnUpgrade naar KadastraleKaart Pro
Qn25aIeV6SGIb12EX1Kspl Upgrade naar KadastraleKaart Pro
RuU57wEb3Hy0Ecgg4Upgrade naar KadastraleKaart Pro
pCdyzeWeQrt6 FmUpgrade naar KadastraleKaart Pro
va6PysZF LUpgrade naar KadastraleKaart Pro
RgufNwM7H3OWdkXhu8AokVUpgrade naar KadastraleKaart Pro
wHlYFLM FPpgFNUpgrade naar KadastraleKaart Pro
01/03/2005

Percelen
Gebruik de zoekbalk of klik op een perceel om informatie over het perceel te bekijken.