
St.-Lambertusstraat 70-C is gelegen in de plaats Cromvoirt, de gemeente Vught en de provincie Noord-Brabant. Het perceel waarop het adres gelegen is heeft een oppervlakte van 3688 m². Het verblijfsobject is met 40 m² relatief klein. Het adres is klein vergeleken met andere objecten in de straat. Het grootste object in de straat heeft een oppervlakte van 2072 m², het kleinste is 15 m² groot. Het pand waarin St.-Lambertusstraat 70-C ligt is gebouwd in het jaar 2024. Panden die gebouwd zijn na het jaar 1984 noemen we hier relatief nieuw. Vergeleken met de andere panden in de straat is dit gebouw nieuw. Het vroegste bouwjaar is er 1838 en het laatste is 2025. Voor het verblijfsobject gelden deze gebruiksdoelen: 'woonfunctie'.
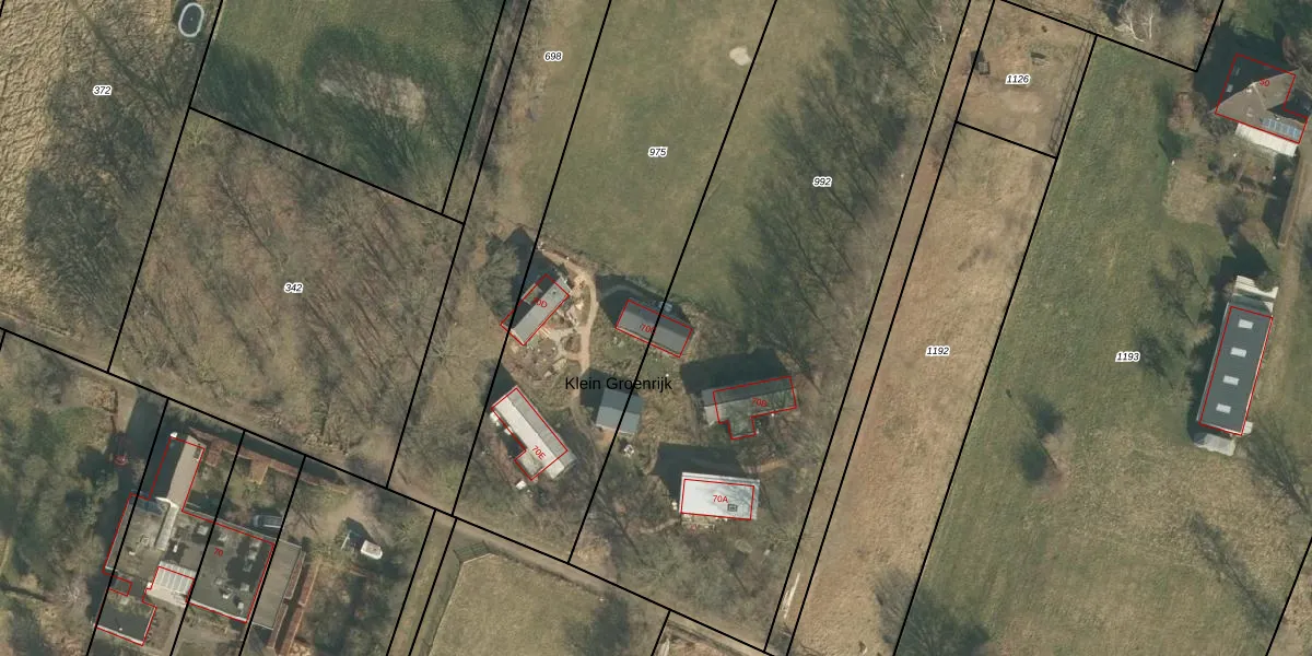
Het adres ligt op het perceel VUG00-I-992, dat zich in de kadastrale gemeente Vught bevindt. Het perceel is met 3688 m² relatief groot. Het gemiddelde ligt in de kadastrale gemeente Vught op 2684,2 m². Het kleinste perceel in de kadastrale gemeente is 0 m² groot. De grootste perceeloppervlakte is 65,7 ha. Er zijn 3 adressen aanwezig op het perceel. De laatste wijziging in het de Basisregistratie Kadaster (BRK) was op 12-08-2005.
Er is geen energielabel geregistreerd voor het adres. Het hoogste energielabel in de straat is A+++++; het laagste is G. Het gemiddelde energielabel is er C. Het adres St.-Lambertusstraat 70-C heeft als status: 'verblijfsobject in gebruik'. Het pand waarin dit adres ligt heeft als status: 'pand in gebruik'.
St.-Lambertusstraat 70-C is een adres gelegen in de gemeente Vught, provincie Noord-Brabant. Dit adres is geregistreerd in de Basisregistratie Adressen en Gebouwen (BAG) met als unieke identificatie 0865010000120763.
Het pand op St.-Lambertusstraat 70-C is gebouwd in 2024, wat betekent dat het 2 jaar oud is. Dit is een vrij nieuw pand. Het pand is dus waarschijnlijk goed geïsoleerd, geluidsdicht en voldoet aan de huidige bouwstandaarden. Op korte termijn zijn er waarschijnlijk weinig onderhoudskosten.
De woning op St.-Lambertusstraat 70-C heeft een gebruiksoppervlakte van 40 m². Dit is relatief klein vergeleken met de gemiddelde Nederlandse woning, die een oppervlakte heeft van ongeveer 119 m². De gebruiksoppervlakte is de maat die wordt gebruikt in de BAG-registratie, de landelijke registratie van de Nederlandse overheid.
St.-Lambertusstraat 70-C heeft als functie: wonen. Deze gebruiksfunctie(s) zijn vastgelegd in de BAG-registratie en geven aan waarvoor het adres officieel mag worden gebruikt.
St.-Lambertusstraat 70-C is gelegen op kadastraal perceel VUG00I992. Deze kadastrale aanduiding is uniek en wordt gebruikt door het Kadaster om eigendomsrechten en andere zakelijke rechten vast te leggen. Het perceel maakt onderdeel uit van de kadastrale gemeente Vught.
Het perceel waarop St.-Lambertusstraat 70-C staat heeft een oppervlakte van 3688 m². Dit is een zeer groot perceel. De perceeloppervlakte wordt geregistreerd door het Kadaster. Gedetailleerde informatie over de maten van dit perceel kunt u vinden in het rapport Kadastrale kaart met maatvoering van St.-Lambertusstraat 70-C.
De eigenaar van St.-Lambertusstraat 70-C is op te vragen op deze pagina.
De informatie over dit adres is afkomstig uit officiële overheidsregistraties, voornamelijk de Basisregistratie Adressen en Gebouwen (BAG) en de Basisregistratie Kadaster (BRK). Deze gegevens worden beheerd door respectievelijk gemeenten en het Kadaster, en worden regelmatig bijgewerkt. Energielabelgegevens komen uit de database van de Rijksdienst voor Ondernemend Nederland (RVO).
