
Mendelssohnstraat 10-G is gelegen in de plaats Drunen, de gemeente Heusden en de provincie Noord-Brabant. Het perceel waarop het adres gelegen is heeft een oppervlakte van 271 m². Het verblijfsobject is met 16 m² relatief klein. Er zijn geen kleinere objecten in deze straat. De gemiddelde oppervlakte is er 60 m². Het grootste verblijfsobject is 143 m². In Nederland komt het grootste deel van de gebouwen uit de periode 1965-1984. Ook het bouwjaar van Mendelssohnstraat 10-G is afkomstig uit die periode: het betreft namelijk een pand uit 1969. Het gemiddelde bouwjaar in de straat is 1969 en dat van het oudste pand is 1968. Dit is het nieuwste object in de straat. Voor het verblijfsobject gelden deze gebruiksdoelen: 'overige gebruiksfunctie'.
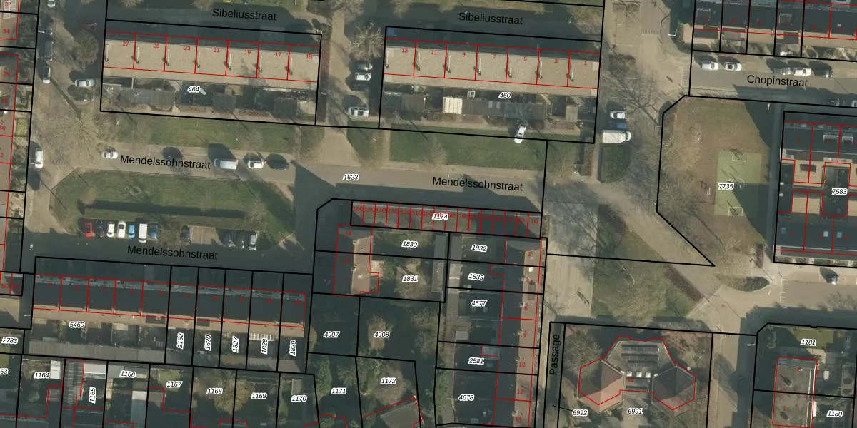
Het adres ligt op het perceel DNN00-L-1174, dat zich in de kadastrale gemeente Drunen bevindt. De gemiddelde perceelgrootte in Drunen is 3020,28 m². Dit perceel is kleiner: de perceeloppervlakte bedraagt 271 m². Het grootste perceel in de kadastrale gemeente is 1,92 km². Het kleinste perceel heeft een oppervlakte van 0 m². Er zijn 16 adressen aanwezig op het perceel. De laatste wijziging in het de Basisregistratie Kadaster (BRK) was op 14-03-2007.
Er is geen energielabel geregistreerd voor het adres. Het hoogste energielabel in de straat is B; het laagste is G. Het gemiddelde energielabel is er C. Het adres Mendelssohnstraat 10-G heeft als status: 'verblijfsobject in gebruik'. Het pand waarin dit adres ligt heeft als status: 'pand in gebruik'.
Mendelssohnstraat 10-G is een adres gelegen in de gemeente Heusden, provincie Noord-Brabant. Dit adres is geregistreerd in de Basisregistratie Adressen en Gebouwen (BAG) met als unieke identificatie 0797010000002783.
Het pand op Mendelssohnstraat 10-G is gebouwd in 1969, wat betekent dat het 57 jaar oud is. Dit is een ouder pand. Het pand heeft mogelijk aanzienlijke renovaties nodig om aan de huidige standaarden te voldoen.
De woning op Mendelssohnstraat 10-G heeft een gebruiksoppervlakte van 16 m². Dit is relatief klein vergeleken met de gemiddelde Nederlandse woning, die een oppervlakte heeft van ongeveer 119 m². De gebruiksoppervlakte is de maat die wordt gebruikt in de BAG-registratie, de landelijke registratie van de Nederlandse overheid.
Mendelssohnstraat 10-G heeft als functie: overige doeleinden. Deze gebruiksfunctie(s) zijn vastgelegd in de BAG-registratie en geven aan waarvoor het adres officieel mag worden gebruikt.
Mendelssohnstraat 10-G is gelegen op kadastraal perceel DNN00L1174. Deze kadastrale aanduiding is uniek en wordt gebruikt door het Kadaster om eigendomsrechten en andere zakelijke rechten vast te leggen. Het perceel maakt onderdeel uit van de kadastrale gemeente Drunen.
Het perceel waarop Mendelssohnstraat 10-G staat heeft een oppervlakte van 271 m². Dit is een middelgroot perceel. De perceeloppervlakte wordt geregistreerd door het Kadaster. Gedetailleerde informatie over de maten van dit perceel kunt u vinden in het rapport Kadastrale kaart met maatvoering van Mendelssohnstraat 10-G.
De eigenaar van Mendelssohnstraat 10-G is op te vragen op deze pagina.
De informatie over dit adres is afkomstig uit officiële overheidsregistraties, voornamelijk de Basisregistratie Adressen en Gebouwen (BAG) en de Basisregistratie Kadaster (BRK). Deze gegevens worden beheerd door respectievelijk gemeenten en het Kadaster, en worden regelmatig bijgewerkt. Energielabelgegevens komen uit de database van de Rijksdienst voor Ondernemend Nederland (RVO).
