
Het adres Amsterdamseweg 53-A bevindt zich in de plaats Ede, in de gemeente Ede en de provincie Gelderland. Het perceel waarop het adres gelegen is heeft een oppervlakte van 964 m². Het verblijfsobject is met 43 m² relatief klein. Het adres is klein vergeleken met andere objecten in de straat. Het grootste object in de straat heeft een oppervlakte van 975 m², het kleinste is 15 m² groot. Het adres Amsterdamseweg 53-A ligt in een relatief oud pand uit het jaar 1924. Panden van vóór het jaar 1965 hebben we hier geclassificeerd als oud. Het bouwjaar is oud vergeleken met dat van de andere panden in de straat. Het oudste bouwjaar is er 1842 en de nieuwste is 2024. Voor het verblijfsobject gelden deze gebruiksdoelen: 'woonfunctie'.
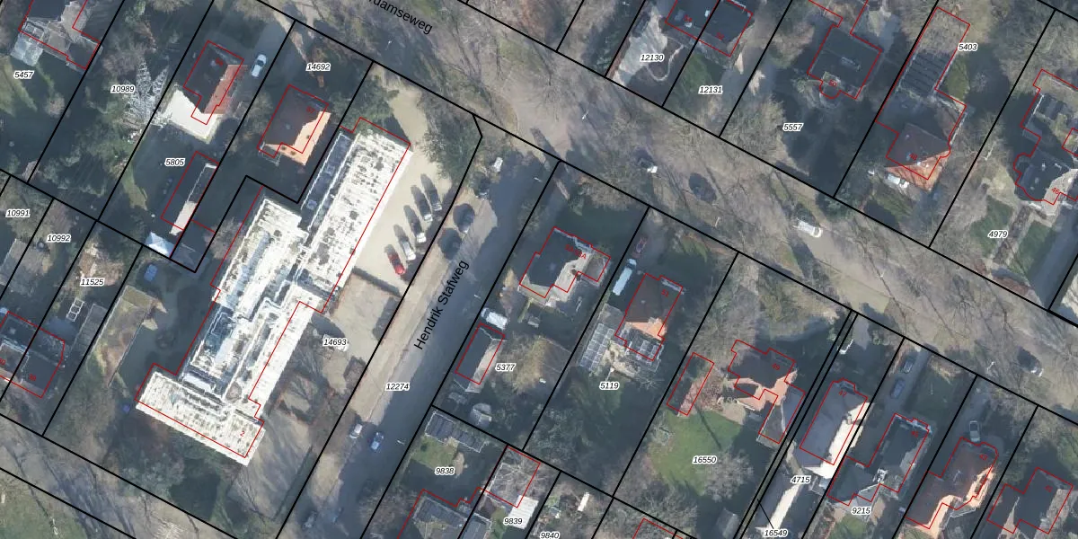
Het adres ligt op het perceel EDE01-K-5377, dat zich in de kadastrale gemeente Ede bevindt. De gemiddelde perceelgrootte in Ede is 2764,86 m². Dit perceel is kleiner: de perceeloppervlakte bedraagt 964 m². De grootste perceeloppervlakte in de kadastrale gemeente is 2,10 km². De kleinste oppervlakte bedraagt 0 m². Er zijn 2 adressen aanwezig op het perceel. In de Basisregistratie Kadaster (BRK) werden de grenzen van het perceel geregistreerd op 18-11-2002.
Er is geen energielabel geregistreerd voor het adres. Het hoogste energielabel in de straat is A++++; het laagste is G. Het gemiddelde energielabel is er D. Het adres Amsterdamseweg 53-A heeft als status: 'verblijfsobject in gebruik'. Het pand waarin dit adres ligt heeft als status: 'pand in gebruik'.
Amsterdamseweg 53-A is een adres gelegen in de gemeente Ede, provincie Gelderland. Dit adres is geregistreerd in de Basisregistratie Adressen en Gebouwen (BAG) met als unieke identificatie 0228010000008649.
Het pand op Amsterdamseweg 53-A is gebouwd in 1924, wat betekent dat het 102 jaar oud is. Dit is een ouder pand. Het pand heeft mogelijk aanzienlijke renovaties nodig om aan de huidige standaarden te voldoen.
De woning op Amsterdamseweg 53-A heeft een gebruiksoppervlakte van 43 m². Dit is relatief klein vergeleken met de gemiddelde Nederlandse woning, die een oppervlakte heeft van ongeveer 119 m². De gebruiksoppervlakte is de maat die wordt gebruikt in de BAG-registratie, de landelijke registratie van de Nederlandse overheid.
Amsterdamseweg 53-A heeft als functie: wonen. Deze gebruiksfunctie(s) zijn vastgelegd in de BAG-registratie en geven aan waarvoor het adres officieel mag worden gebruikt.
Amsterdamseweg 53-A is gelegen op kadastraal perceel EDE01K5377. Deze kadastrale aanduiding is uniek en wordt gebruikt door het Kadaster om eigendomsrechten en andere zakelijke rechten vast te leggen. Het perceel maakt onderdeel uit van de kadastrale gemeente Ede.
Het perceel waarop Amsterdamseweg 53-A staat heeft een oppervlakte van 964 m². Dit is een groot perceel. De perceeloppervlakte wordt geregistreerd door het Kadaster. Gedetailleerde informatie over de maten van dit perceel kunt u vinden in het rapport Kadastrale kaart met maatvoering van Amsterdamseweg 53-A.
De eigenaar van Amsterdamseweg 53-A is op te vragen op deze pagina.
De informatie over dit adres is afkomstig uit officiële overheidsregistraties, voornamelijk de Basisregistratie Adressen en Gebouwen (BAG) en de Basisregistratie Kadaster (BRK). Deze gegevens worden beheerd door respectievelijk gemeenten en het Kadaster, en worden regelmatig bijgewerkt. Energielabelgegevens komen uit de database van de Rijksdienst voor Ondernemend Nederland (RVO).
