
Prins Hendrikstraat 25 is een adres in Eijsden, dat zich bevindt binnen de gemeentegrenzen van Eijsden en de grenzen van de provincie Limburg. De oppervlakte bedraagt 299 m², waarmee het adres groter dan gemiddeld is. De grootte van het perceel waarop het adres ligt is 500 m². Vergeleken met de andere verblijfsobjecten in de straat is dit object groot. De oppervlakte van het grootste object in de straat is 598 m², die van het kleinste bedraagt 19 m². Het adres Prins Hendrikstraat 25 ligt in een relatief oud pand uit het jaar 1900. Panden van vóór het jaar 1965 hebben we hier geclassificeerd als oud. In de straat komt het nieuwste gebouw uit het jaar 2025 en het oudste uit 1896. Het bouwjaar van dit object is relatief oud. Voor het verblijfsobject gelden deze gebruiksdoelen: 'woonfunctie'.
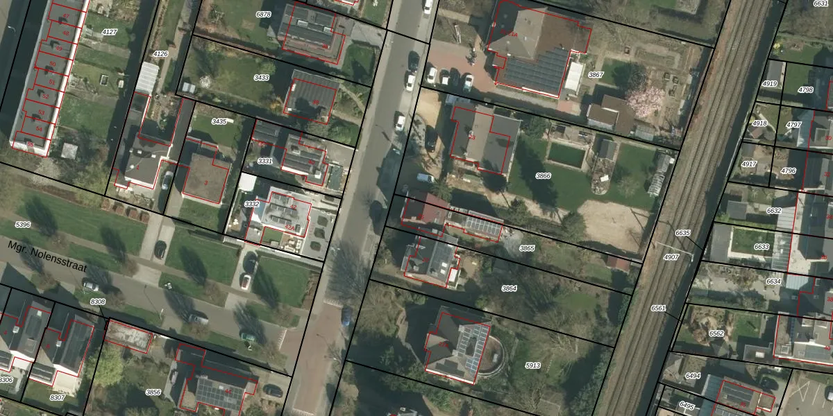
Het adres is gelegen op perceel 3865 in de sectie D en de kadastrale gemeente Eijsden. De kadastrale aanduiding is aldus EDN00-D-3865. De gemiddelde perceelgrootte in Eijsden is 2718,39 m². Dit perceel is kleiner: de perceeloppervlakte bedraagt 500 m². De grootste perceeloppervlakte in de kadastrale gemeente is 49,4 ha. De kleinste oppervlakte bedraagt 0 m². Er zijn geen andere adressen aanwezig op het perceel. De huidige grenzen van het perceel zijn digitaal in de Basisregistratie Kadaster (BRK) geregistreerd op 02-04-2003.
Het adres ligt in een gebouw van het type 'vrijstaande woning'. Bij de laatste meting is voor het adres het energielabel E geregistreerd. Het hoogste energielabel in de straat is A; het laagste is G. Het gemiddelde energielabel is er D. Het adres Prins Hendrikstraat 25 heeft als status: 'verblijfsobject in gebruik'. Het pand waarin dit adres ligt heeft als status: 'pand in gebruik'.
Prins Hendrikstraat 25 is een adres gelegen in de gemeente Eijsden-Margraten, provincie Limburg. Dit adres is geregistreerd in de Basisregistratie Adressen en Gebouwen (BAG) met als unieke identificatie 0905010000000506.
Het pand op Prins Hendrikstraat 25 is gebouwd in 1900, wat betekent dat het 126 jaar oud is. Dit is een ouder pand. Het pand heeft mogelijk aanzienlijke renovaties nodig om aan de huidige standaarden te voldoen.
De woning op Prins Hendrikstraat 25 heeft een gebruiksoppervlakte van 299 m². Dit is ruim vergeleken met de gemiddelde Nederlandse woning, die een oppervlakte heeft van ongeveer 119 m². De gebruiksoppervlakte is de maat die wordt gebruikt in de BAG-registratie, de landelijke registratie van de Nederlandse overheid.
Prins Hendrikstraat 25 heeft als functie: wonen. Deze gebruiksfunctie(s) zijn vastgelegd in de BAG-registratie en geven aan waarvoor het adres officieel mag worden gebruikt.
Prins Hendrikstraat 25 is gelegen op kadastraal perceel EDN00D3865. Deze kadastrale aanduiding is uniek en wordt gebruikt door het Kadaster om eigendomsrechten en andere zakelijke rechten vast te leggen. Het perceel maakt onderdeel uit van de kadastrale gemeente Eijsden.
Het perceel waarop Prins Hendrikstraat 25 staat heeft een oppervlakte van 500 m². Dit is een groot perceel. De perceeloppervlakte wordt geregistreerd door het Kadaster. Gedetailleerde informatie over de maten van dit perceel kunt u vinden in het rapport Kadastrale kaart met maatvoering van Prins Hendrikstraat 25.
De eigenaar van Prins Hendrikstraat 25 is op te vragen op deze pagina.
De informatie over dit adres is afkomstig uit officiële overheidsregistraties, voornamelijk de Basisregistratie Adressen en Gebouwen (BAG) en de Basisregistratie Kadaster (BRK). Deze gegevens worden beheerd door respectievelijk gemeenten en het Kadaster, en worden regelmatig bijgewerkt. Energielabelgegevens komen uit de database van de Rijksdienst voor Ondernemend Nederland (RVO).
