Product Functies Prijzen Meer

Adressen

Gebruik de zoekbalk of klik op een perceel voor informatie over de adressen binnen dit perceel.
Locatie
Meten
Lagen
Download

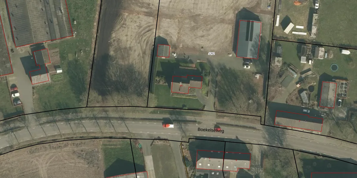
Boekelseweg 1-A

5469SZ, Erp

€ 1519312 Wat moet ik bieden voor deze woning?
245 m²
woonfunctie
5.030 m² perceeloppervlakte
C

Het adres Boekelseweg 1-A bevindt zich in de plaats Erp, in de gemeente Erp en de provincie Noord-Brabant. De oppervlakte bedraagt 245 m², waarmee het adres groter dan gemiddeld is. De grootte van het perceel waarop het adres ligt is 5030 m². In vergelijking met de andere adressen in de straat is de oppervlakte van dit object relatief groot. Het grootste verblijfsobject heeft een oppervlakte van 595 m², de oppervlakte van het kleinste object bedraagt 23 m². In Nederland komt het grootste deel van de gebouwen uit de periode 1965-1984. Ook het bouwjaar van Boekelseweg 1-A is afkomstig uit die periode: het betreft namelijk een pand uit 1981. Veel andere gebouwen in de straat zijn ouder dan dit pand. Het oudste pand komt uit het jaar 1893 en het nieuwste uit 2015. De volgende gebruiksdoelen zijn geregistreerd voor dit adres: 'woonfunctie'.

Verkoopdata beschikbaar

Deze woning is voor het laatst verkocht op 1 juli 2014. Meer informatie over deze transactie? Bestel het Woningtransactierapport om de verkoopprijs en andere informatie te zien.

Perceel

Het perceel waarop het adres ligt is ERP00-R-1262. De afkorting 'ERP00' staat voor kadastrale gemeente Erp. Het perceel is 5030 m² groot. Dat is kleiner dan de gemiddelde perceeloppervlakte in Erp, dat op 6398,33 m² ligt. Het grootste perceel in de kadastrale gemeente is 1,05 km². Het kleinste perceel heeft een oppervlakte van 0 m². Er zijn geen andere adressen aanwezig op het perceel. In de Basisregistratie Kadaster (BRK) werden de grenzen van het perceel geregistreerd op 22-05-2019.

Energielabel en status

Het adres ligt in een gebouw van het type 'vrijstaande woning'. Bij de laatste meting is voor het adres het energielabel C geregistreerd. Het hoogste energielabel in de straat is A++; het laagste is G. Het gemiddelde energielabel is er C. Het adres Boekelseweg 1-A heeft als status: 'verblijfsobject in gebruik'. Het pand waarin dit adres ligt heeft als status: 'pand in gebruik'.

Meer lezen

Adres

Gebruiksoppervlakte
245 m²
Bruto vloeroppervlakte
Op2Zh EOsFUpgrade naar KadastraleKaart Pro
Gebruiksdoel(en)
Woonfunctie
Status
Verblijfsobject in gebruik
Type
Vrijstaande woning
Gasloos
M6dQaH r9lXsXvLEV6YS2EUpgrade naar KadastraleKaart Pro
Gebeurtenissen
Appartementsrechten
Lhy2BguTmt6fIUpgrade naar KadastraleKaart Pro
Eigenaar
Eigendomsinformatie 12,95
Adresinformatie bestellen
Adrespakket 34,95
VBO ID
0860010000007074
Woning laatst verkocht in
2014 -
Verkoopprijs opvragen 8,95

Pand

Bouwjaar pand
1981
Aantal adressen in dit gebouw
1 adres
Hoogte pand
umYxSXaVTcF2NxOCBkxYxUpgrade naar KadastraleKaart Pro
Aantal bouwlagen (schatting)
2p1Kfikwr s8yUpgrade naar KadastraleKaart Pro
Volume
U07HR TgLEtrQ QUpgrade naar KadastraleKaart Pro
Oppervlakte dak
Mwh1pDognk0Upgrade naar KadastraleKaart Pro
Oppervlakte buitenmuur
DVjP 2MqYrgP lT2sx8Upgrade naar KadastraleKaart Pro
Status pand
Pand in gebruik
Pand ID
0860100001502016

Perceel

Kadastrale aanduiding
Erp R 1262 (ERP00 R 1262)
Oppervlakte
5.030 m²
Maatvoering
Kadastrale kaart met maatvoering 59,95
Omtrek
294 meter
Datum laatst gewijzigd
22/05/2019
Aantal adressen op perceel
1
Hoogte boven N.A.P.
p6Hje7xocWnyUpgrade naar KadastraleKaart Pro

Veelgestelde vragen

Boekelseweg 1-A is een adres gelegen in de gemeente Meierijstad, provincie Noord-Brabant. Dit adres is geregistreerd in de Basisregistratie Adressen en Gebouwen (BAG) met als unieke identificatie 0860010000007074.

Het pand op Boekelseweg 1-A is gebouwd in 1981, wat betekent dat het 45 jaar oud is. Dit is een pand van middelbare leeftijd. Het pand is van gemiddelde leeftijd en zal waarschijnlijk verouderde elementen bevatten.

De woning op Boekelseweg 1-A heeft een gebruiksoppervlakte van 245 m². Dit is ruim vergeleken met de gemiddelde Nederlandse woning, die een oppervlakte heeft van ongeveer 119 m². De gebruiksoppervlakte is de maat die wordt gebruikt in de BAG-registratie, de landelijke registratie van de Nederlandse overheid.

Boekelseweg 1-A heeft als functie: wonen. Deze gebruiksfunctie(s) zijn vastgelegd in de BAG-registratie en geven aan waarvoor het adres officieel mag worden gebruikt.

Boekelseweg 1-A is gelegen op kadastraal perceel ERP00R1262. Deze kadastrale aanduiding is uniek en wordt gebruikt door het Kadaster om eigendomsrechten en andere zakelijke rechten vast te leggen. Het perceel maakt onderdeel uit van de kadastrale gemeente Erp.

Het perceel waarop Boekelseweg 1-A staat heeft een oppervlakte van 5030 m². Dit is een zeer groot perceel. De perceeloppervlakte wordt geregistreerd door het Kadaster. Gedetailleerde informatie over de maten van dit perceel kunt u vinden in het rapport Kadastrale kaart met maatvoering van Boekelseweg 1-A.

De eigenaar van Boekelseweg 1-A is op te vragen op deze pagina

De informatie over dit adres is afkomstig uit officiële overheidsregistraties, voornamelijk de Basisregistratie Adressen en Gebouwen (BAG) en de Basisregistratie Kadaster (BRK). Deze gegevens worden beheerd door respectievelijk gemeenten en het Kadaster, en worden regelmatig bijgewerkt. Energielabelgegevens komen uit de database van de Rijksdienst voor Ondernemend Nederland (RVO).

Maatvoeringsrapport

Biedadvies

Loop uw droomhuis niet mis met ons biedadvies.
Loop uw droomhuis niet mis met ons biedadvies.
Maatvoeringsrapport

Bestel het adrespakket

Kom alles te weten over Boekelseweg 1-A met het adrespakket.
Kom alles te weten over Boekelseweg 1-A met het adrespakket.

360°-foto's van de omgeving

Google Street View
Upgrade nu voor 360° Street View foto's

Zon en schaduw rondom adres

Buurt
Buitengebied Kraanmeer en Veluwe
Inwoners: 355
Woningen: 118
Wijk
Erp
Inwoners: 7.310
Woningen: 2.856
Gemeente
Meierijstad
Inwoners: 84.304
Woningen: 35.406