
Het adres Boekelseweg 8-A bevindt zich in de plaats Erp, in de gemeente Erp en de provincie Noord-Brabant. De oppervlakte van het verblijfsobject is met 288 m² aan de grote kant. Het perceel heeft een oppervlakte van 1911 m². In vergelijking met de andere adressen in de straat is de oppervlakte van dit object relatief groot. Het grootste verblijfsobject heeft een oppervlakte van 595 m², de oppervlakte van het kleinste object bedraagt 23 m². Boekelseweg 8-A bevindt zich in een pand uit het jaar 1893. Daarmee behoort het tot de groep relatief oude panden in Nederland die gebouwd zijn vóór 1965. Gemiddeld zijn de gebouwen in de straat gebouwd in 1947. Dit is het oudste pand in de straat. Het meest recente komt uit het jaar 2015. De volgende gebruiksdoelen zijn geregistreerd voor dit adres: 'woonfunctie'.
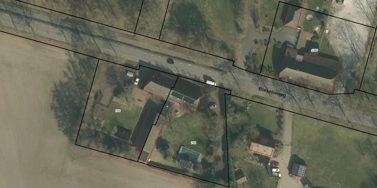
Het perceel waarop het adres ligt is ERP00-R-794. De afkorting 'ERP00' staat voor kadastrale gemeente Erp. Het perceel is 1911 m² groot. Dat is kleiner dan de gemiddelde perceeloppervlakte in Erp, dat op 6398,33 m² ligt. Het grootste perceel in de kadastrale gemeente is 1,05 km². Het kleinste perceel heeft een oppervlakte van 0 m². Op het perceel bevinden zich geen andere adressen. In de Basisregistratie Kadaster (BRK) werden de grenzen van het perceel geregistreerd op 01-04-2005.
Er is geen energielabel geregistreerd voor het adres. Het hoogste energielabel in de straat is A++; het laagste is G. Het gemiddelde energielabel is er C. Het adres Boekelseweg 8-A heeft als status: 'verblijfsobject in gebruik'. Het pand waarin dit adres ligt heeft als status: 'pand in gebruik'.
Boekelseweg 8-A is een adres gelegen in de gemeente Meierijstad, provincie Noord-Brabant. Dit adres is geregistreerd in de Basisregistratie Adressen en Gebouwen (BAG) met als unieke identificatie 0860010000007045.
Het pand op Boekelseweg 8-A is gebouwd in 1893, wat betekent dat het 133 jaar oud is. Dit is een ouder pand. Het pand heeft mogelijk aanzienlijke renovaties nodig om aan de huidige standaarden te voldoen.
De woning op Boekelseweg 8-A heeft een gebruiksoppervlakte van 288 m². Dit is ruim vergeleken met de gemiddelde Nederlandse woning, die een oppervlakte heeft van ongeveer 119 m². De gebruiksoppervlakte is de maat die wordt gebruikt in de BAG-registratie, de landelijke registratie van de Nederlandse overheid.
Boekelseweg 8-A heeft als functie: wonen. Deze gebruiksfunctie(s) zijn vastgelegd in de BAG-registratie en geven aan waarvoor het adres officieel mag worden gebruikt.
Boekelseweg 8-A is gelegen op kadastraal perceel ERP00R794. Deze kadastrale aanduiding is uniek en wordt gebruikt door het Kadaster om eigendomsrechten en andere zakelijke rechten vast te leggen. Het perceel maakt onderdeel uit van de kadastrale gemeente Erp.
Het perceel waarop Boekelseweg 8-A staat heeft een oppervlakte van 1911 m². Dit is een zeer groot perceel. De perceeloppervlakte wordt geregistreerd door het Kadaster. Gedetailleerde informatie over de maten van dit perceel kunt u vinden in het rapport Kadastrale kaart met maatvoering van Boekelseweg 8-A.
De eigenaar van Boekelseweg 8-A is op te vragen op deze pagina
De informatie over dit adres is afkomstig uit officiële overheidsregistraties, voornamelijk de Basisregistratie Adressen en Gebouwen (BAG) en de Basisregistratie Kadaster (BRK). Deze gegevens worden beheerd door respectievelijk gemeenten en het Kadaster, en worden regelmatig bijgewerkt. Energielabelgegevens komen uit de database van de Rijksdienst voor Ondernemend Nederland (RVO).
