
Esbeekseweg 23-A is een adres in Esbeek, dat zich bevindt binnen de gemeentegrenzen van Esbeek en de grenzen van de provincie Noord-Brabant. Het verblijfsobject is 121 m² groot en bevindt zich op een perceel met een oppervlakte van 1198 m². Gemiddeld hebben adressen in Nederland een oppervlakte van 119 m². Het adres is klein vergeleken met andere objecten in de straat. Het grootste object in de straat heeft een oppervlakte van 2360 m², het kleinste is 7 m² groot. In het jaar 2009 is het pand waarin Esbeekseweg 23-A ligt gebouwd. Dat is relatief recent: de meeste gebouwen in Nederland zijn gebouwd in de periode 1965-1984. Vergeleken met de andere panden in de straat is dit gebouw nieuw. Het vroegste bouwjaar is er 1925 en het laatste is 2022. Het verblijfsobject heeft de volgende gebruiksdoelen: 'woonfunctie'.
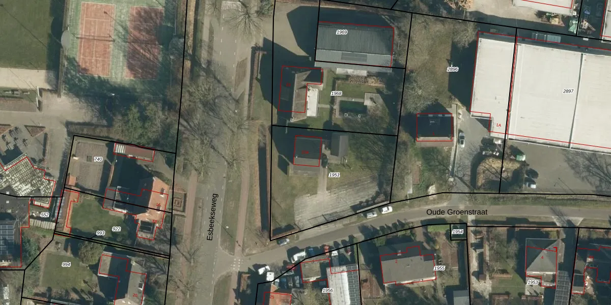
Het adres ligt op het perceel HVR00-P-1951, dat zich in de kadastrale gemeente Hilvarenbeek bevindt. Het perceel is kleiner dan gemiddeld in Hilvarenbeek. Het perceel is 1198 m² groot, terwijl het gemiddelde ligt op 1,0 ha. De grootste perceeloppervlakte in de kadastrale gemeente is 3,92 km². De kleinste oppervlakte bedraagt 0 m². Dit is het enige adres dat aanwezig is op het perceel. De huidige grenzen van het perceel zijn digitaal in de Basisregistratie Kadaster (BRK) geregistreerd op 14-06-2010.
Er is geen energielabel geregistreerd voor het adres. Het hoogste energielabel in de straat is A++++; het laagste is G. Het gemiddelde energielabel is er B. Het adres Esbeekseweg 23-A heeft als status: 'verblijfsobject in gebruik'. Het pand waarin dit adres ligt heeft als status: 'pand in gebruik'.
Esbeekseweg 23-A is een adres gelegen in de gemeente Hilvarenbeek, provincie Noord-Brabant. Dit adres is geregistreerd in de Basisregistratie Adressen en Gebouwen (BAG) met als unieke identificatie 0798010000007097.
Het pand op Esbeekseweg 23-A is gebouwd in 2009, wat betekent dat het 17 jaar oud is. Dit is een relatief modern pand. Ten opzichte van de nationale woningvoorraad is het pand relatief modern, maar er kunnen enkele verouderde elementen zijn die aandacht nodig hebben.
De woning op Esbeekseweg 23-A heeft een gebruiksoppervlakte van 121 m². Dit is gemiddeld vergeleken met de gemiddelde Nederlandse woning, die een oppervlakte heeft van ongeveer 119 m². De gebruiksoppervlakte is de maat die wordt gebruikt in de BAG-registratie, de landelijke registratie van de Nederlandse overheid.
Esbeekseweg 23-A heeft als functie: wonen. Deze gebruiksfunctie(s) zijn vastgelegd in de BAG-registratie en geven aan waarvoor het adres officieel mag worden gebruikt.
Esbeekseweg 23-A is gelegen op kadastraal perceel HVR00P1951. Deze kadastrale aanduiding is uniek en wordt gebruikt door het Kadaster om eigendomsrechten en andere zakelijke rechten vast te leggen. Het perceel maakt onderdeel uit van de kadastrale gemeente Hilvarenbeek.
Het perceel waarop Esbeekseweg 23-A staat heeft een oppervlakte van 1198 m². Dit is een zeer groot perceel. De perceeloppervlakte wordt geregistreerd door het Kadaster. Gedetailleerde informatie over de maten van dit perceel kunt u vinden in het rapport Kadastrale kaart met maatvoering van Esbeekseweg 23-A.
De eigenaar van Esbeekseweg 23-A is op te vragen op deze pagina.
De informatie over dit adres is afkomstig uit officiële overheidsregistraties, voornamelijk de Basisregistratie Adressen en Gebouwen (BAG) en de Basisregistratie Kadaster (BRK). Deze gegevens worden beheerd door respectievelijk gemeenten en het Kadaster, en worden regelmatig bijgewerkt. Energielabelgegevens komen uit de database van de Rijksdienst voor Ondernemend Nederland (RVO).
