
Groenstraat 12 is een adres in Esbeek, dat zich bevindt binnen de gemeentegrenzen van Esbeek en de grenzen van de provincie Noord-Brabant. De oppervlakte van het verblijfsobject is met 460 m² aan de grote kant. Het perceel heeft een oppervlakte van 1353 m². De oppervlakte van dit adres is groot vergeleken met de oppervlaktes van andere adressen in de straat. De kleinste oppervlakte bedraagt er 10 m², de grootste 5183 m². Het adres Groenstraat 12 ligt in een relatief oud pand uit het jaar 1915. Panden van vóór het jaar 1965 hebben we hier geclassificeerd als oud. Het nieuwste gebouw in de straat komt uit 2025 en het oudste uit 1620. Dit object is relatief oud. Voor het verblijfsobject gelden deze gebruiksdoelen: 'woonfunctie'.
Deze woning is voor het laatst verkocht op 1 april 2015. Meer informatie over deze transactie? Bestel het Woningtransactierapport om de verkoopprijs en andere informatie te zien.
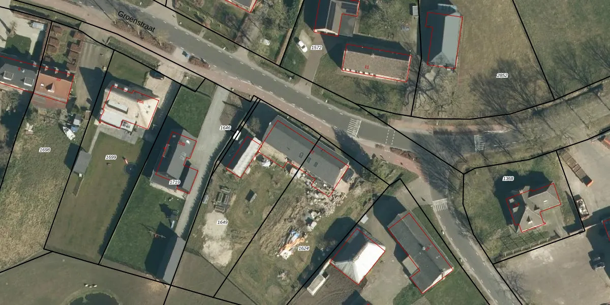
Het adres ligt op het perceel HVR00-Q-1649, dat zich in de kadastrale gemeente Hilvarenbeek bevindt. De gemiddelde perceelgrootte in Hilvarenbeek is 1,0 ha. Dit perceel is kleiner: de perceeloppervlakte bedraagt 1353 m². De grootste perceeloppervlakte in de kadastrale gemeente is 3,92 km². De kleinste oppervlakte bedraagt 0 m². Op het perceel bevinden zich geen andere adressen. De huidige grenzen van het perceel zijn digitaal in de Basisregistratie Kadaster (BRK) geregistreerd op 05-01-2021.
Er is geen energielabel geregistreerd voor het adres. Het hoogste energielabel in de straat is A++; het laagste is G. Het gemiddelde energielabel is er C. Het adres Groenstraat 12 heeft als status: 'verblijfsobject in gebruik'. Het pand waarin dit adres ligt heeft als status: 'pand in gebruik'.
Groenstraat 12 is een adres gelegen in de gemeente Hilvarenbeek, provincie Noord-Brabant. Dit adres is geregistreerd in de Basisregistratie Adressen en Gebouwen (BAG) met als unieke identificatie 0798010000002395.
Het pand op Groenstraat 12 is gebouwd in 1915, wat betekent dat het 111 jaar oud is. Dit is een ouder pand. Het pand heeft mogelijk aanzienlijke renovaties nodig om aan de huidige standaarden te voldoen.
De woning op Groenstraat 12 heeft een gebruiksoppervlakte van 460 m². Dit is ruim vergeleken met de gemiddelde Nederlandse woning, die een oppervlakte heeft van ongeveer 119 m². De gebruiksoppervlakte is de maat die wordt gebruikt in de BAG-registratie, de landelijke registratie van de Nederlandse overheid.
Groenstraat 12 heeft als functie: wonen. Deze gebruiksfunctie(s) zijn vastgelegd in de BAG-registratie en geven aan waarvoor het adres officieel mag worden gebruikt.
Groenstraat 12 is gelegen op kadastraal perceel HVR00Q1649. Deze kadastrale aanduiding is uniek en wordt gebruikt door het Kadaster om eigendomsrechten en andere zakelijke rechten vast te leggen. Het perceel maakt onderdeel uit van de kadastrale gemeente Hilvarenbeek.
Het perceel waarop Groenstraat 12 staat heeft een oppervlakte van 1353 m². Dit is een zeer groot perceel. De perceeloppervlakte wordt geregistreerd door het Kadaster. Gedetailleerde informatie over de maten van dit perceel kunt u vinden in het rapport Kadastrale kaart met maatvoering van Groenstraat 12.
De eigenaar van Groenstraat 12 is op te vragen op deze pagina.
De informatie over dit adres is afkomstig uit officiële overheidsregistraties, voornamelijk de Basisregistratie Adressen en Gebouwen (BAG) en de Basisregistratie Kadaster (BRK). Deze gegevens worden beheerd door respectievelijk gemeenten en het Kadaster, en worden regelmatig bijgewerkt. Energielabelgegevens komen uit de database van de Rijksdienst voor Ondernemend Nederland (RVO).
