
Jan v.d. Boschstraat 1-A-7 is een adres in Helden, dat zich bevindt binnen de gemeentegrenzen van Helden en de grenzen van de provincie Limburg. Het verblijfsobject is vergeleken met het Nederlandse gemiddelde aan de kleine kant: de oppervlakte is 44 m². Het perceel waarop het adres zich bevindt heeft een oppervlakte van 4406 m². Het adres is klein vergeleken met andere objecten in de straat. Het grootste object in de straat heeft een oppervlakte van 123 m², het kleinste is 11 m² groot. De gemiddelde bouwperiode van gebouwen in Nederland ligt tussen de jaren 1965-1984. Dat geldt ook voor het bouwjaar van Jan v.d. Boschstraat 1-A-7: het is gebouwd in het jaar 1965. Dit pand is het meest recent exemplaar in de straat. Het oudste object komt er uit 1962 en het gemiddelde bouwjaar is 1964. Het verblijfsobject heeft de volgende gebruiksdoelen: 'woonfunctie'.
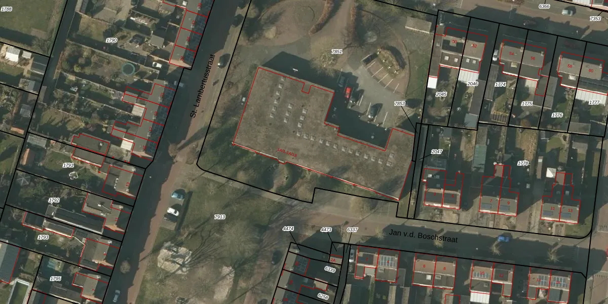
Het adres ligt op het perceel HDN01-G-7851, dat zich in de kadastrale gemeente Helden bevindt. Het perceel is kleiner dan gemiddeld in Helden. Het perceel is 4406 m² groot, terwijl het gemiddelde ligt op 4696,39 m². Het kleinste perceel in de kadastrale gemeente is 0 m² groot. De grootste perceeloppervlakte is 28,9 ha. Op het perceel liggen in totaal 13 adressen. De huidige grenzen van het perceel zijn digitaal in de Basisregistratie Kadaster (BRK) geregistreerd op 24-04-2024.
Het adres ligt in een gebouw van het type 'appartement met het subtype tussenvloer'. Bij de laatste meting is voor het adres het energielabel D geregistreerd. Het hoogste energielabel in de straat is B; het laagste is G. Het gemiddelde energielabel is er D. Het adres Jan v.d. Boschstraat 1-A-7 heeft als status: 'verblijfsobject in gebruik'. Het pand waarin dit adres ligt heeft als status: 'pand in gebruik'.
Jan v.d. Boschstraat 1-A-7 is een adres gelegen in de gemeente Peel en Maas, provincie Limburg. Dit adres is geregistreerd in de Basisregistratie Adressen en Gebouwen (BAG) met als unieke identificatie 1894012000007918.
Het pand op Jan v.d. Boschstraat 1-A-7 is gebouwd in 1965, wat betekent dat het 61 jaar oud is. Dit is een ouder pand. Het pand heeft mogelijk aanzienlijke renovaties nodig om aan de huidige standaarden te voldoen.
De woning op Jan v.d. Boschstraat 1-A-7 heeft een gebruiksoppervlakte van 44 m². Dit is relatief klein vergeleken met de gemiddelde Nederlandse woning, die een oppervlakte heeft van ongeveer 119 m². De gebruiksoppervlakte is de maat die wordt gebruikt in de BAG-registratie, de landelijke registratie van de Nederlandse overheid.
Jan v.d. Boschstraat 1-A-7 heeft als functie: wonen. Deze gebruiksfunctie(s) zijn vastgelegd in de BAG-registratie en geven aan waarvoor het adres officieel mag worden gebruikt.
Jan v.d. Boschstraat 1-A-7 is gelegen op kadastraal perceel HDN01G7851. Deze kadastrale aanduiding is uniek en wordt gebruikt door het Kadaster om eigendomsrechten en andere zakelijke rechten vast te leggen. Het perceel maakt onderdeel uit van de kadastrale gemeente Helden.
Het perceel waarop Jan v.d. Boschstraat 1-A-7 staat heeft een oppervlakte van 4406 m². Dit is een zeer groot perceel. De perceeloppervlakte wordt geregistreerd door het Kadaster. Gedetailleerde informatie over de maten van dit perceel kunt u vinden in het rapport Kadastrale kaart met maatvoering van Jan v.d. Boschstraat 1-A-7.
De eigenaar van Jan v.d. Boschstraat 1-A-7 is op te vragen op deze pagina.
De informatie over dit adres is afkomstig uit officiële overheidsregistraties, voornamelijk de Basisregistratie Adressen en Gebouwen (BAG) en de Basisregistratie Kadaster (BRK). Deze gegevens worden beheerd door respectievelijk gemeenten en het Kadaster, en worden regelmatig bijgewerkt. Energielabelgegevens komen uit de database van de Rijksdienst voor Ondernemend Nederland (RVO).
