Product Functies Prijzen Meer

Adressen

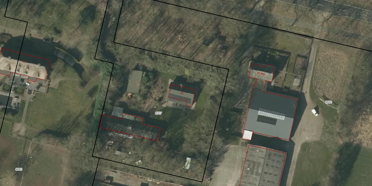
Gebruik de zoekbalk of klik op een perceel voor informatie over de adressen binnen dit perceel.
Locatie
Meten
Lagen
Download

Oude Peelstraat 87

5759PB, Helenaveen

€ 1519312 Wat moet ik bieden voor deze woning?
121 m²
woonfunctie
4.135 m² perceeloppervlakte
?

Oude Peelstraat 87 is een adres in Helenaveen, dat zich bevindt binnen de gemeentegrenzen van Helenaveen en de grenzen van de provincie Noord-Brabant. De oppervlakte van het adres is 121 m². Dat is vergelijkbaar met het gemiddelde Nederlandse oppervlakte van 119 m². De oppervlakte van het perceel waarin het adres ligt is 4135 m². Het object is klein ten opzichte van de andere adressen in de straat. Het grootste verblijfsobject is 6815 m² groot en het kleinste is 14 m². Oude Peelstraat 87 ligt in een gebouw uit het jaar 2019. Daarmee behoort het tot de groep panden van na 1984, die we als relatief nieuw bestempelen. Dit object is relatief nieuw in de straat. Het nieuwste gebouw komt er uit het jaar 2024 en het oudste uit het jaar 1915. Het verblijfsobject heeft de volgende gebruiksdoelen: 'woonfunctie'.

Perceel

Het perceel waarop het adres ligt is DNE00-H-8707. De afkorting 'DNE00' staat voor kadastrale gemeente Deurne. Het perceel is kleiner dan gemiddeld in Deurne. Het perceel is 4135 m² groot, terwijl het gemiddelde ligt op 5808,87 m². Het grootste perceel in de kadastrale gemeente is 3,71 km². Het kleinste perceel heeft een oppervlakte van 0 m². Op het perceel bevinden zich geen andere adressen. De huidige grenzen van het perceel zijn digitaal in de Basisregistratie Kadaster (BRK) geregistreerd op 03-04-2008.

Energielabel en status

Er is geen energielabel geregistreerd voor het adres. Het hoogste energielabel in de straat is A; het laagste is G. Het gemiddelde energielabel is er C. Het adres Oude Peelstraat 87 heeft als status: 'verblijfsobject in gebruik'. Het pand waarin dit adres ligt heeft als status: 'pand in gebruik'.

Meer lezen

Adres

Gebruiksoppervlakte
121 m²
Bruto vloeroppervlakte
SytFyd3Q4JcLtOMMgD kzolUpgrade naar KadastraleKaart Pro
Gebruiksdoel(en)
Woonfunctie
Status
Verblijfsobject in gebruik
Type
Onbekend
Gasloos
RfJwE KNiNGCUpgrade naar KadastraleKaart Pro
Gebeurtenissen
Appartementsrechten
3jwaeLJSre x8 VcUpgrade naar KadastraleKaart Pro
Eigenaar
Eigendomsinformatie 12,95
Adresinformatie bestellen
Adrespakket 34,95
VBO ID
0762010000017147

Pand

Bouwjaar pand
2019
Aantal adressen in dit gebouw
1 adres
Hoogte pand
RkF 2zV OsvKp ZtvE0w3rUpgrade naar KadastraleKaart Pro
Aantal bouwlagen (schatting)
oBP57NXd6po Upgrade naar KadastraleKaart Pro
Volume
8fokMV7hLYexJ9B Upgrade naar KadastraleKaart Pro
Oppervlakte dak
BKK vQE3Upgrade naar KadastraleKaart Pro
Oppervlakte buitenmuur
WYTBUck15 hB6V 2GMUpgrade naar KadastraleKaart Pro
Status pand
Pand in gebruik
Pand ID
0762100000030405

Perceel

Kadastrale aanduiding
Deurne H 8707 (DNE00 H 8707)
Oppervlakte
4.135 m²
Maatvoering
Kadastrale kaart met maatvoering 59,95
Omtrek
322 meter
Datum laatst gewijzigd
03/04/2008
Aantal adressen op perceel
1
Hoogte boven N.A.P.
tq O1IhuBZI Mz6NMQt Upgrade naar KadastraleKaart Pro

Veelgestelde vragen

Oude Peelstraat 87 is een adres gelegen in de gemeente Deurne, provincie Noord-Brabant. Dit adres is geregistreerd in de Basisregistratie Adressen en Gebouwen (BAG) met als unieke identificatie 0762010000017147.

Het pand op Oude Peelstraat 87 is gebouwd in 2019, wat betekent dat het 7 jaar oud is. Dit is een vrij nieuw pand. Het pand is dus waarschijnlijk goed geïsoleerd, geluidsdicht en voldoet aan de huidige bouwstandaarden. Op korte termijn zijn er waarschijnlijk weinig onderhoudskosten.

De woning op Oude Peelstraat 87 heeft een gebruiksoppervlakte van 121 m². Dit is gemiddeld vergeleken met de gemiddelde Nederlandse woning, die een oppervlakte heeft van ongeveer 119 m². De gebruiksoppervlakte is de maat die wordt gebruikt in de BAG-registratie, de landelijke registratie van de Nederlandse overheid.

Oude Peelstraat 87 heeft als functie: wonen. Deze gebruiksfunctie(s) zijn vastgelegd in de BAG-registratie en geven aan waarvoor het adres officieel mag worden gebruikt.

Oude Peelstraat 87 is gelegen op kadastraal perceel DNE00H8707. Deze kadastrale aanduiding is uniek en wordt gebruikt door het Kadaster om eigendomsrechten en andere zakelijke rechten vast te leggen. Het perceel maakt onderdeel uit van de kadastrale gemeente Deurne.

Het perceel waarop Oude Peelstraat 87 staat heeft een oppervlakte van 4135 m². Dit is een zeer groot perceel. De perceeloppervlakte wordt geregistreerd door het Kadaster. Gedetailleerde informatie over de maten van dit perceel kunt u vinden in het rapport Kadastrale kaart met maatvoering van Oude Peelstraat 87.

De eigenaar van Oude Peelstraat 87 is op te vragen op deze pagina.

De informatie over dit adres is afkomstig uit officiële overheidsregistraties, voornamelijk de Basisregistratie Adressen en Gebouwen (BAG) en de Basisregistratie Kadaster (BRK). Deze gegevens worden beheerd door respectievelijk gemeenten en het Kadaster, en worden regelmatig bijgewerkt. Energielabelgegevens komen uit de database van de Rijksdienst voor Ondernemend Nederland (RVO).

Maatvoeringsrapport

Wie is de eigenaar?

Bekijk de eigenaar van Oude Peelstraat 87 met de eigendomsinformatie.
Bekijk de eigenaar van dit adres.
Maatvoeringsrapport

Maatvoering van het perceel

Bestel de maatvoering voor Oude Peelstraat 87 met het maatvoeringsrapport.
Bestel de maatvoering voor dit adres.

360°-foto's van de omgeving

Google Street View
Upgrade nu voor 360° Street View foto's

Zon en schaduw rondom adres

Buurt
Verspreide woningen bij Helenaveen
Inwoners: 460
Woningen:
Wijk
Helenaveen
Inwoners: 915
Woningen:
Gemeente
Deurne
Inwoners: 33.180
Woningen: 14.165